| CATEGORII DOCUMENTE |
| Agricultura | Asigurari | Comert | Confectii | Contabilitate | Contracte | Economie |
| Transporturi | Turism | Zootehnie |
| Navigatie |
SISTEMELOR TEHNOLOGICE DROBETA-TURNU-SEVERIN
TRANSPORT FLUVIAL SI MARITIM
CAPITOLUL 1
Transportul naval a aparut din antichitate si se dezvoltat in secolul nostru datorita avantajelor pe care le-a adus in raport cu toate celelalte categorii de transport .
Constantin Brincoveanu dispunea pe Dunare de o flota de caiace, nave cu prova si pupa ascutite, cu 14 perechi de rame si o vela latina . Aceste nave erau armate cu un tun, echipajul format din vaslasi, tunar, pilot si comandant .

Pe langa aceste nave de lupta erau si nave de transport care aveau 20-30 metri lungime si 4-6 metri latime, dotate cu3-5 perechi de rame si cate o vela triunghiulara sau patrata .
In anul 1833 a fost lansata
. 
In atelierele din Galati au fost construite in 1839 un numar de 7 corabii, iar in 1840 numarul corabiilor lansate la apa a crescut la 10 .
Primele incercari de navigatie
ale navelor cu aburi pe Dunare au fost in anul 1820. Prima nava cu aburi a
D.D.S.G. care a navigat pe Dunare in anul
Anul 1837 a fost marcat de un
eveniment deosebit la gurile Dunarii - atunci a intrat pe Dunare
prima nava cu aburi, sub pavilion Austriac, care a venit de

In tarile romane, navigatia navelor cu aburi
apare in anul 1857,in acest an negustorul Nicolae Ciocan din Bucuresti se
ocupa cu transport de sare in Serbia, Bulgaria si Turcia. Sarea se duceau in
carute de la Tg. Ocna
In
In anul 1887 s-a votat prima lege pentru infiintarea unui serviciu de navigatei fluviala romana in subordinea Ministerului Lucrarilor Publice, intrucat nu erau posibilitati de a se organiza de catre stat acest serviciu, mai multi armatori straini si-au oferit concursul cu material naval si echipajele lor in schimbul unor subventii importante din partea Statului Roman si a fost condus de inginerii Duca Olanescu, Grigorie Manu si Anghel Saligny- secretar, comisia a ajuns la concluzia ca erau dezavantajoase pentru stat .
Grigorie Manu propune guvernului prin memoriul sau numarul 10996 din 30.05 1890 infiintarea unui serviciu de navigatie pe Dunare pentru asigurarea transportului sarii in Serbia, in conditiile stipulate in conventie si pentru micsorarea pretului transportului. Argumentarea prezentata de Grigorie Manu este aratata in urmatorul extras al raportului amintit: "dispunand de propriile noaste vase am dobandit inainte de toate siguranta deplina a executarii acestui contract deoarece mijlocul pentru aceasta s-ar afla in mainile noastre si implinirea obligatiilor luate asupra-ne, nu ar mai depinde decat de buna chibzuire. Am implini cu succes sansele de succes in Bulgaria, fata de silintele ce se fac pentru introducerea sarii din Austro - Ungaria, silinte care au luat astazi un caracter mai ingrijorator pentru noi decat s-a pierdut targul de desfacere in Serbia si am stabilit intr-un mod regulat aprovizionarea depozitelor din Dobrogea, care in lipsa de alte legaturi cu restul tarii trebuie facute pe Dunare pana in momentul cand este prinsa de gheturi. Pe de alta parte vom avea de platit pentru toate aceste transporturi numai pretul real fara al mai spori cu beneficiul intreprinzatorului si fara a mai suporta prisosul ce acestia trebuie sa-l prevada in totdeauna pentru eventualitate contrarii sau dificultati de navigatie si am evita toate pierderile si cheltuielile diverse ce ne-ar ocaziona intarzierile si spetele aceste indoite operatiuni de a da sare o data in seama societarii sau a armatorului la incarcare si apoi a o preda a doua oara la destinatie".
Cu creditul acordat de guvern, Grigorie Manu a cumparat in 1890 remorcherul "Pex" caruia i s-a schimbat denumirea in "DESPINA DOAMNA" si 4 slepuri, infiintand in cadrul Regiei Monopolului Statului Navigatia Fluviala Romana, denumire care s-a pastrat 60 de ani, astfel incat Navigatia Fluviala Romana s-a organizat si dezvoltata independent de legea din 1877 privind infatisarea unui serviciu de navigatie fluviala si maritima la fel cum si serviciul maritim roman a luat fiinta datorita altor
imprejurari.

Furnitura de sare marindu-se, Regia Monopolului de Stat a cumparat in 1891 pentru navigatia
fluviala romana de
In 1893 Regia Monopolului de Stat a cumparat de
In 1893 Regia Monopolului Statului prin Navigatia Fluviala Romana, organizeaza pentru prima data transportul de calatori si marfuri Calafat - Vidin, Giurgiu - Hrusciu (Ruse), Calaras - Ostrov, Braila - Macin si Macin - Sulina
. 
In 1895 Navigatia Fluviala Romana preia de
Tot in acest an a fost cumparata de
Pana in anul 1900 Santierul Naval de
In anul 1914 Navigatia Fluviala Romana avea 13 nave de pasageri :
"PRINCIPELE MIRCEA" construit la Santierul naval Galati, "PRINCIPELE
CAROL" , "CALAFAT" , "BORCEA" construite la Santierul Naval Turnu Severin
si pasagerele "CERNAVODA" , "TURNU
MAGURELE", "INDEPENDENTA", "DOROBANTI" si "CALUGARENI" toate avand
Nava "ORIENT" a fost renovata in iaht regal la Santierul Naval Turnu Severin si a fost numita "STEFAN CEL MARE". Dupa 1940 aceasta nava, sub acelasi nume, a fost preluata de Navigatia Fluviala Romana si folosita ca nava de pasageri pe ruta Galati - Turnu Severin si retur. Restul flotei N.F.R. din 1914 era :
-12
remorchere -

- 107 slepuri cu capacitatea de 67556 tone
-14 tancuri cu capacitatea de 5700 tone
In 1914 un grup de 8 banci din Bucuresti pun bazele Societati Romanesti de Transport, o mare companie de navigatie romana, cu un capital de 40 mil. lei aur, societate care a functionat pana la cel de-al doilea razboi mondial .
Navigatia maritima a luat fiinta prin legea din anul 1887.
Prin Decretul din 28.04.1895 s-a acordat Regiei Monopolului Statului un imprumut de 2,5 mil. lei de aur din fondurile porturilor cu care au fost cumparate doua nave si a fost infiintat primul Serviciu de Navigatia Maritima in subordinea Regiei Monopolului Statului.
La
30.08. 1895 Regia Monopolului Statului a cumparat nava "MEDEEA" de

Procesul tehnic a facut posibila aparitia unor nave de mare capacitate cum sunt cele de peste 300.000 tdw, si in perspectiva apropiata aparitia unor nave gigant cu un tonaj pana la 1.000.000 twd, punandu-se accent pe cresterea vitezei de deplasare.

Dezvoltarea relatiilor comerciale internationale determina cresterea transporturilor maritime si fluviale in realizarea schimburilor de marfuri, acestora revenindu-le primul loc in volumul de transportat exprimat in tone kilometrice .
Locul important pe care il ocupa transportul naval in sistemul unitar al transporturilor in Romania se datoreaza avantajelor pe care le ofera:
-avantaj la capacitatea mare de transport pe distante lungi;
-imposibilitatea inlocuiri lor intre continente;
-mobilitate, promptitudine in exploatare;
-pretul de cost relativ mic;
Transporturile navale se clasifica in :
Transporturi maritime care se realizeaza pe mari, oceane si fac legatura intre baze de materii prime si productie, precum si intre productie si consum .

Trei patrimi din comertul international se realizeaza cu ajutorul transportului maritim.

Pe intreg globul exista cca.200000 nave, de capacitati si destinatii .
Transporturi interioare care se realizeaza pe rauri, fluvii, canale navigabile si asigura transferul marfurilor de masa, necesare agentilor economici din vecinatatea acestor cai navigabile, participand si la realizarea transporturilor in trafic combinat cu mijloace auto sau feroviare.

Apele nationale navigabile sunt formate din marea teritoriala si apele interne navigabile. Regimul si intinderea marii teritoriale se stabilesc prin lege. Apele interne navigabile ale Romaniei sunt: fluviile, raurile, canalele, si lacurile situate in interiorul teritoriului Romaniei, pe portiunile navigabile si apele navigabile de frontiera de la malul romanesc pana la linia de frontiera .
Constituie zona maritima, fluviala sau a altor fasii, cai navigabile, portiunea de teren situat in lungul tarmului teritorial sau al apelor navigabile pe o latime de 30 metri .
In porturi, zona maritima, fluviala sau a altor cai de navigatie coincide cu incinta portuara .
NOTIUNI DE BAZA IN TRANSPORTURILE PE APA
Miscarea pe apa cu sisteme termice plutitoare denumite nave, se numeste navigatie si poate fi interioara, cand se desfasoara pe cai interioare (rauri, canale, lacuri) sau maritima cand se face pe mari sau oceane.
Circulatia navelor se poate efectua in unitati independente daca dispun de mijloace proprii de propulsie, sau in formatii denumite convoaie, constituite din mai multe unitati nepropulsate.
Una ,doua sau mai multe nave legate bord la bord, poarta numele de dana. Ea poate fi simpla, dubla sau mai rar cvadrupla. Tot dana se numeste lungimea de cheu sau de mal amenajat, necesara acostarii navelor in timpul stationarii.
Totalitatea unitatilor de navigatie aferente unei regiuni sau tari poarta denumirea de flota. Activitatea de navigatie a flotei de transport se realizeaza in cadrul curselor. Cursa se numeste deplasarea efectuata de o nava sau un convoi, de la punctul de expeditie la punctul de destinatie. Ea este forma fundamentala a procesului de transport. Se deosebesc curse in amonte si in aval, curse cu incarcatura si in gol, curse regulate si neregulate. Cursa regulata functioneaza intre aceleasi puncte de expeditie si destinatie , pe o ruta fixa denumita linie de circulatie si dupa un orar precis al plecarilor si sosirilor din porturi denumit itinerar. Cursa al carui proces de lucru se incheie in punctul initial de plecare poarta numele de cursa circulara. Timpul necesar pentru efectuarea tuturor operatiilor si proceselor dintre puncte la extreme pana la realizarea unor noi posibilitati de reluare a procesului de transport, in conditii asemanatoare reprezinta durata cursei sau turnusul .
CARACTERISTICI ALE TRANSPORTULUI PE APA
Viteze
caracteristice. Viteza fata de sol pe care nava o dezvolta in
apa statatoare poarta denumirea de viteza in apa
moarta (v
). In apa curgatoare se deosebesc:
- viteza navei fata de sol, privit
ca sistem de referinta fix care se numeste viteza
absoluta sau viteza de inaintare (v
);
- viteza navei fata de curent,
adica fata de un sistem de referinta mobil legat de
el, care se numeste viteza relativa (v
);
Catre
amonte viteza de inaintare a navei in curent va fi mai mica decat viteza
in apa moarta (v
) cu o cantitate D
, iar viteza catre aval
(V
) mai mare cu o cantitate D
.
In
general pierderea de viteza Dv, sau sporul de viteza Dvi, sunt diferite in cele doua sensuri. In ipoteza ca
miscarea vasului este paralela cu directia curentului, iar
conditiile de navigatie sunt identice in ambele sensuri se poate
considera D
= D
= V
in care V
este viteza curentului.
In acest caz viteza de inaintare relativa va fi:
V
= V
-V
;
(V
) = V
+V
;
V
= V
+ V
= V
;
V
V
- V
V![]()
Cum se vede, viteza de inaintare a navei este influentata de viteza curentului, in timp ce viteza relativa este independenta de ea spre amonte sau spre aval. Acesta este modul pentru care in calculul rezistentei la inaintare cunoasterea rezistentei in apa moarta are importanta.
Viteza
de plin mars (V
) sau de miscare maxima fata de sol pe
care o nava o poate realiza navigand in aliniament pe timp favorabil
si la regim optim de functionare a instalatiilor de
forta .
Viteza
tehnica (V
) a navei sau a convoiului intre doua puncte succesive
de oprire pe un sector de cale, este viteza medie de inaintare fata
de sol, determinata pentru drumul si timpul efectiv de mers.
Nu
intra in consideratie spatiul si timpul corespunzator
altor operatii tehnice de pe parcurs ca: ecluzari, modificari de
convoaie ,primire de alimente etc. si opririle pentru
descarcarile partiale, transportari in larg, completarea
incarcaturii etc.; viteza comerciala (W
) este viteza de transmitere a marfurilor de la punctul
de expeditie la punctul de destinatie (sau invers)se exprima
prin raportul dintre lungimea cursei L
, catre durata ei t.![]()
W
= ![]()
CARACTERISTICI FAVORABILE ALE TRANSPORTULUI PE APA
Caracteristica principala a transportului pe apa este caracterul de masa al sau. Intr-un singur convoi se poate expedia echivalentul a sute de vagoane de marfa. Astfel convoiul tractat pentru care a fost dimensionata ecluza de la Portile de Fier transporta 10.800 tone marfuri care sunt echivalente cu 10 garnituri de 54 vagoane a 20 t /vagoane plus 10 locomotive a 2.100 C.P. insumand o putere totala de 20 C.P. sau 1080

autocamioane de 10 t/ autocamion a 150 C.P. autocamion ,adica in total 162.000 C.P. convoiul de calcul al canalului Dunare - Marea Neagra este de capacitate si mai mare fiind constituit din 6 barje de 3000 t fiecare adica 18000 t.
Puterea impingatorului este de 2400 C.P.; in practica americana s-a ajuns la formatii impuse de 50.000 t. Din caracteristica mai sus mentionata decurg si alte consecinte favorabile.


- rentabilitatea mecanizarii operatiilor de manipulare a marfurilor in punctele de incarcare - descarcare, datorita concentrarii unor importante cantitati de marfuri in acest punct.
- reducerea personalului de insotire
datorita unitatilor putine in care se efectueaza
transportul; rezulta un om la 500 - 750 t in cazul convoaielor tractate
si un om la 1000 - 2000 t in cazul convoaielor impinse. 
- consumul redus de metal necesar constructiei navelor, raportat la unitatea de masa transportata.
In majoritatea cazurilor caile navigabile asigura o capacitate de trafic mult mai mare decat a celorlalte cai de transporturi. La fluvii amenajate in curent libere si la lacuri unde navigatia se poate desfasura pe mai multe linii paralele, capacitatea de transport este practic nelimitata.

La cai amenajate in regim barat ea este egala cu capacitatea de transport a ecluzei,pretul de cost al transportului propriu zis (fara costul operatiilor de incarcare - descarcare) este pe apa intotdeauna mai mic decat la celelalte genuri de transport. De la o anumita distanta si pretul de cost total (transport + transbordare) la calea pe apa e mai mic decat la calea terestra. In general se poate spune ca la distanta de peste 200.300 km transportul pe apa concureaza din puncte de vedere economic transportul feroviar si auto.
Investitia specifica ,necesitatea de
amenajare a cailor navigabile, reprezinta valori valabile
functie de felul amenajarii si conditiile locale. Ea se
poate situa in cazul cursurilor amenajate in curent liber sub valoarea
investitiei medii pentru calea ferata sau poate depasi
uneori considerabil aceasta valoare ,de obicei in cazul canalelor sau a
cursurilor ecluzate. 
CARACTERISTICI NEFAVORABILE
Principalul neajuns la transportul pe caile de ape interioare este caracterul sau sezonier, determinat de clima. In perioada de iarna un anumit numar de zile navigatia se intrerupe din cauza inghetului sau a scurgerii sloiurilor.

Pe Dunare perioada de intrerupere este de 45 pana la 60 de zile iar pe canalul Bega intre 90-100 zile. Cele mai expuse inghetului sunt caile de apa statatoare (lacurile) si caile cu viteza redusa a curentului (canalele). Prin anumite procedee perioada de navigatie poate fi prelungita, sau chiar extinsa pe toata durata anului cum s-a reusit in perioada razboiului ,1940-1945 pe canalele belgiene si germane. Drept exemple de procedee destinate acestui scop se cita: utilizarea spargatoarelor de gheata; utilizarea caldurii apelor provenite de la termocentrale sau atomocentrale (o asemenea masura se preconizeaza pe canalul Dunare - Marea Neagra) utilizarea aerului comprimat pentru ridicarea straturilor de apa inferioare mai calde la suprafata; raspandirea pe suprafata apei a unor deseuri organice care prin reactii exoterme degaja caldura si coboara temperatura de inghet; formarea unor curenti de apa puternici prin intermediul stavilarelor sau formarea valurilor cu ajutorul elicelor de remorcher. Intreruperea de scurta durata a navigatiei, sau utilizarea incompleta a capacitatilor de transport pot avea loc pe unele cai navigabile si din alte cauze ca de pilda scaderea nivelului de apa in perioada secetoasa; producerea curentilor periculosi ;viitura; valuri pe lacuri cu suprafete mari. Viteza redusa de circulatie a navelor, in special a convoaielor face ca durata de transmitere a marfurilor sa fie mare la transporturi fluviale. Faptul acesta afecteaza in special produsele perisabile, marfuri de valoare si transporturi de calatori. Actualmente, odata cu trecerea la navigatie prin impingere; introducerea pe scara tot mai mare a tractiunii cu motoare Diesel si Diesel - electrice; introducerea vaselor rapide de pasageri si chiar de marfuri cu aripi portante si cu perne de aer; imbunatatirea in continuare a activitatii flotei prin reducerea stationarilor, viteza medie comerciala sporeste continuu.

Ramura transportului pe
apa , constructia navelor, amenajarea porturilor, reclama,
tehnicitate sporita si mana de lucru cu calitate
superioara. 
CAPITOLUL 2
Morfologia Dunari
Bazinul
hidrografic al Dunarii se desfasoara in interiorul Europei Centrale,
ocupand circa 10%din suprafata continentului .Este al doilea fluviu ca
marime dupa Volga, avand o suprafata a bazinului de
receptie de 805.300 kmp, din care 221670 kmp (adica 28%)
apartinand Romaniei .Denumit adesea "marea diagonala a Europei", fluviul
Dunarea dreneaza depresiunile Panonica si Pontica inconjurate de
masive hercinice, alpine, carpatice, dinarice si balcanice .Cursul principal al
Dunarii, este format la inceputul cuaternalului, are o lungime totala de
-Sectorul Gruia - Calafat, caracterizat printr-un strat acvifer cantonat in bolovanisuri si pietrisuri, cu debite cuprinse intre 4 si 8 l/s, iar in contactul dintre lunca si terasa apar din loc in loc izvoarele dintre care citam: "Pristol, Cetate, Maglavid".
-Sectorul Calafat - Bechet, cuprinde panze
freatice formate din pietrisuri si bolovanisuri cu grosimi ce
variaza intre 5 si
-Sectorul Bechet - Turnu Magurele, se caracterizeaza prin ingustarea luncii si apropierea terasei de valea Dunarii.
In acest sector izvoarele de la baza terasei sunt foarte numeroase, ca de exemplu: Calarasi, Sarata, Dabuleni, Ianca, Orlea si Corabia.
Orizontul acvifer freatic este cantonat in bolovanisuri si pietrisuri care trec catre partea superioara la nisipuri pietroase.
-Sectorul Turnul Magurele - Zimnicea, cuprinde panze freatice acumulate in bolovanisuri si nisipuri fine, prafoase.
Procesele
de formare si stabilitate a le albiei, care determina dinamica geometriei sale,
sunt influentate de o serie de factori, dintre care unii joaca un rol
activ iar altii un rol pasiv. Printre factori care joaca un rol activ se
pot considera mai importanti scurgerea apei si scurgerea aluviunilor, iar
dintre cei pasivi structura geologica, elementele geomorfometrice si
constitutia granulometrica a patului albiei. Caracterizarea stadiului actual al formari albiei
Dunarii comporta rezolvarea a doua probleme: determinarea si analiza variabilitatii
de-a lungul Dunarii a elementelor morfometrice ale albiei si stabilirea
tendintelor geometriei acesteia . In ceea ce priveste adancimile
medii, se constata ca acestea oscileaza pe sectorul Gruia - Silistra in
jurul valorii medii de 6,80 m. Sectorul km.flv.860 - Silistra se intinde pe o
suprafata de
Procesele de albie cu caracter reversibil produc schimbari putin importante ale albiei si are loc in mod special in zonele de traseu rectiliniu, lipsite de coturi, ramificatii sau meandre . Din analiza unui mare numar de profiluri suprapuse in zona studiata se constata in primul rand ca albia Dunarii prezinta o stabilitate relativ buna in sectoarele rectilinii. Mari deformari se produc in zonele in care exista fie coturi, ramificatii sau ostroave, fie mai ales combinatii ale acestor posibilitati .Se constata in primul rand o zona situata intre km.607 si km.560 in care cu cateva exceptii bilantul sete pozitiv. Intre km.559 si km.525 erodarile predomina. Trebuie mentionat ca in general, asa cum rezulta din examinarea hartilor de navigatie, existenta acestor sectoare caracteristice este perfect justificata de dezvoltarea in plin si pe adancime a albiei Dunarii. In cele ce urmeaza se va pune in evidenta dinamica proceselor de albie care au avut loc in portul Corabia . In primul rand, apare foarte evidenta influenta pe care o are Ostrovul Baloiu care este asezat in cot . Variatia in plan cat si in sectiune a acestui Ostrov arata ca acesta si-a modificat forma, alungindu-se catre amonte si avand in prezent tendinta de a se uni cu malul stang(km.630). Alungirea Ostrovului a avut loc datorita eroziuni malului stang in perioada cu ape mici si datorita depunerilor masive de catre senalul navigabil a unor cantitati de material solid care au creat astfel un banc sumers. Colmatarea bancului sumers a continuat si in perioada 1952 - 1953 ca urmare a unor ape mari s-a produs o puternica imersiune a bancului aflat in mijlocul albiei care s-a unit cu Ostrovul Baloiu, iar in blatul de la malul stang a fost erodat si mai mult . Eroziunea noului brat a continuat in paralel cu cresterea latimii si adancimii. In perioada urmatoare (dupa anul1954) ca urmare a apelor mari s-a produs o erodare totala pana sub etiaj a Ostrovului de la malul stang si o colmatare a bratului nou format. De asemenea se constata o eroziune si a capetelor din amonte a Ostrovului Baloiu. In afara zonelor amintite, unde s-a putut examina stabilitatea albiei pe baza profilelor si hartilor batimetrice, s-a cautat sa se puna in evidenta actiunea pe care o are curentul apei in coturi. Pentru exemplificare am ales doua dintre cele mai importante coturi si anume:
Sectorul cuprins intre km.558 si km 550 si sectorul cuprins intre km.540 si km.534. Din examinarea pofilelor transversale din kilometru in kilometru se constata urmatoarele :
Ca
urmare a vitezelor mari in convexitate s-a produs schimbari ale acesteia,
mai intense catre capetele din amonte ale sectoarelor curbe, si depuneri
corespunzatoare la malul concav, mai intense catre capetele din aval
ale acestora.Un rol important il joaca ostroavele din aceste sectoare, care
prin curentii transversali dirijatii de ele fac ca anumite cazuri,
unor eroziuni in convexitate sa le raspunda colmatari in albie
sau chiar in mijlocul ei si nula malul concav asa cum ar aparea normal. O serie de profiluri au prezentat in ultimi 5
pana la 10 ani o suficient de buna stabilitate, Corabia, Giurgiu iar
profilurile Calafat si Zimnicea prezinta de asemenea o relativa
stabilitate . Una din problemele proceselor de albie, care prezinta o
importanta deosebita in rezolvarea practica a necesitatilor de
navigatie pe Dunare este formarea si dezvoltarea pragurilor. Pragurile
sunt formatii specifice locale ale albiei, caracteristice zonelor in care
exista particularitati distincte, in special ale morfologiei albiei;
meandre, ostroave, schimbari bruste ale latimii albiei
confluente, caracter litologic deosebit al patului albiei. Asupra dinamicii
evolutiei pragurilor, un rol important il joaca variatiile in timp
ale debitelor de apa scurse precum si cantitati de aluviuni
transportate de Dunare si afluenti sai. Pragurile se
formeaza de obicei in zonele in care anumite conditii
favorizeaza in ansamblu depunerea de aluviuni. Dinamica in timp a
schimbarilor ce se produc in zona pragurilor este legata de actiunea
complexa si uneori contradictorie a proceselor hidraulice ce au loc in albie. Din
aceasta cauza, nu se poate forma o legitate care ar putea lega in mod strict
evolutia pozitiva sau negativa a adancimii pragurilor de faza de regim a
debitelor sau nivelurilor apei (cresterea sau descresterea). Analiza unor date privind adancimile la
praguri de pe Dunare, a aratat ca intotdeauna dezvoltarea acestora
are loc in perioada apelor mici ca urmare a scaderi capacitatii
de transport a aluviunilor. Trebuie mentionat ca apar cazuri in care
dezvoltarea in sens pozitiv a pragurilor se produce in perioada de
crestere a apelor pe Dunare, fie ca urmare a unor cantitati
de aluviuni care nu pot fi transportate integral de curent in zone de
largire ale albiei (in zona in care se produc scaderi ale valorilor
vitezelor) fie din cauza unor cantitati masive de aluviuni
transportate in perioada apelor mari pe Tunare de afluenti ce conflueaza
in apropiere de aceste praguri: Jiu, Olt, Timocul, Lomul, Iscar, Iantra etc. In
intervalul unui an in care pe Dunare are loc in principal o faza de crestere si una de
descrestere a undei de viitura, in perioada de primavara,
situatia unui anumit prag este rezultatul unui bilant care poate fi
excedentar - in cazul in care se produc colmatari - sau deficitar - in cazul in
care se produc erodari. Fata de cele aratate mai sus apare
posibilitatea de a clasa pragurile in diferite tipuri, avand drept criteriu
principal evolutia acestora in timpul unui an, in functie de
variatia principalelor elemente hidrologice, in speta nivelul apei. Dunarea are o lungime de
Suprafetele drenate in Elvetia, Italia, Polonia si Albania sunt neinsemnate, cele mai mari revenind Romaniei, Ungariei si Iugoslaviei.
|
Tara |
Suprafete bazin colector km2 |
Din bazin |
|
Germania | ||
|
Elvetia -Italia | ||
|
Austria | ||
|
Cehia-Slovacia-Polonia | ||
|
Solvenia | ||
|
Croatia | ||
|
Iugoslavia | ||
|
Romania | ||
|
Bulgaria | ||
|
Ucraina-Moldova | ||
|
Alte tari | ||
|
Total |
CAPITOLUL 3
PORTURI DUNARENE IN SECTORUL CUPRINS INTRE
KM.520 - KM.300
PORTURI AMENAJATE
PORTUL RUSSE;

Port fluvial bulgaresc, amplasat pe malul drept la km. 495+600.
La km. 499, mal drept se afla un punct de incarcare cu un cheu cu o lungime de cca. 600m. Accesul se face atat rutier cit si pe calea ferata.

Portul Russe este compus din doua zone, una pe amonte de la km. 498 la km. 494 si alta in aval intre km. 490 si km.488+800.
Zona din amonte de la km.498 la km. 494 este alcatuita din:
dane de operare marfuri cu lungimea cheului de cca. 2000m, avand in dotare macarale de cheu , platforma pentru depozitare.
Bazinul portuar de la km. 496 este dotat cu macarale de cheu, platforma portuara,

Danele portuare pentru pasageri si turism sant cuprinse intre km. 496 si km. 494 cu o lungime de cheu de cca. 2000m, dotat cu pontoane de acostare, cladiri administrative drumuri rutiere si cale ferata
Dana de operare de la km. 495+100 este specializata in aprovizionarea navelor fluviale cu combustibil
Zona din aval intre km. 490 si km. 488+800 este alcatuita din doua bazine portuare amenajate, unul la km. 490 avand macarale de cheu si cel deal doilea bazin in aval la km. 489.
PORTUL GIURGIU;

Port fluvial romanesc, amplasat pe malul sting al Dunarii la km. 493+800 si km. 490.
Zona portuara comerciala ,'' Ramadan '' are un cheu inclinat in lungime de 1400 m compus din: dane de asteptare pentru slepuri si barji in lungime de 400m;
dane operare marfuri cu lungimea de 250 m, destinate marfurilor generale,pieselor agabaritice, materiale lemnoase . In dotare cheul are doua macarale una de 16tfx32m si una de 5tfx32,, platforma portuara cu o suprafata de 5000 mp, si magazii cu o suprafata de 3000 mp;
dane de operare pentru pasageri si turism, in aval de km.493, au cheul inclinat, cu o lungime de 400 m, dotat cu pontoane de acostare, gara fluviala cu sala de asteptare si sedii administrative.

I - Zona comerciala la Dunare - Ramadan;
II - Zona libera Platforma chimica nr. 1;
II - Zona petroliera Cioroiu - Zona libera;
III -Zona comerciala Plantelor;
IV - Zona bazinul Veriga;
Gara fluviala;
Magazii;
Pichet de graniceri;
Depozit de rezidiuri pacura;
Mira hidrometrica;
Dane operative;
Dane pentru pasageri;
Dana buncheraj;
Dana petroliera;
Dane asteptare;
Santier naval.

dana de buncheraj nave fluviale, in lungime de 100 m, prevazuta cu un ponton de acostare cu dotarile necesare, si depozit de rezidiuri de pacura;
dane de asteptare in lungime de 250 pentru navele de pasageri si turism.
Adancimea minima in zona Ramadan este de 3,50 m.
Zona comerciala bazinul Plantelor, creata prin dragarea unui canal este compusa din:
Latura de nord a bazinului;
Dana speciala in lungime de 400 m, pentru navele militare;
Dane de operare pentru balast, cu o lungime de 170 m, dotate cu doua macarale de cheu de 5tfx32 m si platforma de depozitare;
Dane de operare pentru cereale, lungimea cheului fiind de 170 m.
Latura de sud a bazinului;
dane de operare, cu lungimea de 160 m, dotate cu 3 macarale de 16tfx32m, si platforma pentru depozitare cu o suprafata de 29.000 mp.
Adancimea minima la danele din bazinul Plantelor este de 2 m.
Zona bazinului Veriga, la km. 492, este folosita in
mare parte de catre santierul naval Giurgiu. 
Podul GIURGIU-RUSSE

Mai este denumit si podul prieteniei, fiind un pod mixt destinat transportului pe cale ferata la primul nivel, si transportului rutier pe doua benzi la nivelul superior. Este amplasat la km. 488+700.
Navigatia pe sub pod se face;
navigatia pe sensul amonte, intre pilele IV si V;
navigatia pe sensul aval, intre pilele VI si VII;
intre pilele V si VI, in mod normal nu se naviga decat in situatia cand traveea este ridicata pentru navele al caror gabarit impune acest lucru. Podul este in permanenta semnalizat atat pe timp de zi cit si pe timp de noapte.
PORTUL TUTRAKAN

Port fluvial bulgaresc, situat pe malul drept al Dunarii la km. 433.Portul are un cheu in lungime de cca. 1200m, intre km. 433+200 si km.432 fiind format din;dane pentru pasageri la km. 433 dotate cu pontoane de acostare;dane de operare pentru marfuri situat in aval de danele de pasageri pina la km. 432 avand in dotare macarale de cheu.
PORTUL OLTENITA

Portul Oltenita, port romanesc amplasat pe malul sting la Dunarii la km. 430.
Lungimea cheului de operare este de cca. 750m, repartizat dupa cum urmeaza;
rampa pentru manipularea pieselor grele, lungimea cheului fiind de cca. 200m;
dane pentru pasageri, lungimea cheului fiind de 200m, in aval de cheul pentru manipulare piese grele;
danele pentru operare marfuri, lungimea cheului fiind de 300m impartite in doua sectoare de cite150 m, avand urmatoarele dotarii;
- 3 macarale de cheu de de 5tfx32m;
- platforma pentru depozitare cu o suprafata de 31.000mp;
- magazii;
- siloz.
Adancimea minima la cheu in portul Oltenita fiind de 3m. Santierul naval Oltenita este situat la km. 428+700 si dispune de un bazin cu o lungime de 750m, este dotat cu macarale de 50tf, 16tf, 5tf, hale si ateliere.
Accesul in santierul naval se poate face rutier si pe calea ferata.

PORTUL SILISTRA

Port fluvial bulgaresc amplasat pe malul drept al Dunarii la km.375+500.
In amonte intre km. 379 si km. 378+350, este amenajat loc de acostare pentru nave. Danele pentru pasageri si faleza orasului este cuprinsa intre km. 377 si km. 375, avand amplasate pontoane pentru acostare nave. Accesul in port se poate face pe calea ferata si rutier. La km. 374 pe malul drept se afla pontonul de acostare a bacului ce traverseaza Dunarea pe malul sting, punctul Chiciu la malul drept punctul Ostrov.
PORTUL CALARASI
Portul Industrial Calarasi

Port fluvial romanesc, amplasat pe malul sting al bratului Borcea km. 94 in dreptul km. 370 pe Dunare, fiind compus din trei porturi ;
-Portul industrial Calarasi, aflat la km. 98 pe bratul Borcea legatura facindu-se printru canal cu o lungime de 6 km.;
Portul comercial Calarasi, la km. 94 brat Borcea;
Portul Calarasi Modelu la km. 90 brat Borcea

Portul comercial Calarasi

Canalul navigabil Borcea

Lungimea danelor de operare ce sant date in folosinta este de 850 m, din care;
cheul vertical avand o lungime de 400m, dotat cu 3 macarale de 16tfx32m;
cheul vertical cu lungimea de 135 m, avand in dotare incarcator si platforma portuara;
cheu vertical in lungime de 300 m dotat cu 2 macarale de 5tfx32m si platforma portuara. Accesul in port se poate face rutier, pe calea ferata si pe apa pe bratul Borcea si canalul de legatura. Adancimea minima la danele de operare este de 4,25 m. Portul Comercial Calarasi, se afla in apropierea orasului la km. 94 brat Borcea.Dana pentru cereale avand o lungime de 100 m avand in dotare platforma portuara si siloz cu o capacitate de 10 000 t. Danele pentru depozitarea marfurilor in vrac, in lungime de 250 m avand in dotare doua macarale de 5tfx32 m si 16tfx32 m si platforma de depozitare;
Dana pentru pasageri, cu o lungime a cheului de 100 m, dotata cu sala de asteptare si pontoane de acostare. Suprafata totala a platformelor portului Comercial Calarasi este de 213.000 mp. Suprafata totala a magaziilor este de 3000 mp. Adancimea minima la danele de operare este de 2,80 m.
PORTUL OSTROV
Este port fluvial, amplasat pe malul drept al bratului Ostrov in dreptul km. 366 pe Dunare.
Portul este format din;
dana pentru pasageri;
punct de incarcare - descarcare.
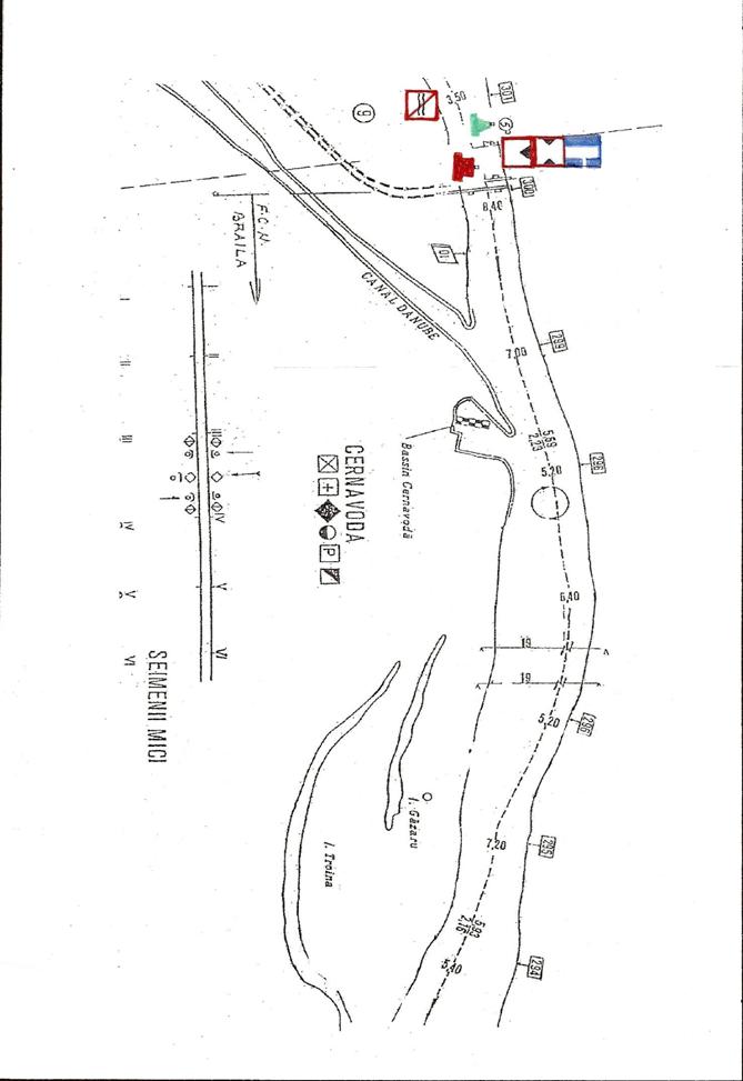
PORTUL CERNAVODA

Este port fluvial pe malul drept al Dunarii - km. 300 si pe malul sting al Canalului Dunare Marea Neagra km. 64+400. Portul Cernavoda este compus din;
Zona fluviala de-a lungul Dunarii, aval de bazin din care;
dane pentru operare balast cu lungimea cheului de 200 m;
dane pentru produse petroliere.
Bazinul Portuar cu suprafata luciului de apa de 10 ha unde se afla 6 dane de operare si platforma portuara pe o suprafata de 9 ha. Danele de operare din Bazin sant;
dane de asteptare nave fluviale cu o lungime de 200 m pentru marfuri generale;
cala de lansare la apa a navelor din santier;
dana nr. 1, lungimea cheului fiind de 100 m dotata cu magazie pentru cereale cu o suprafata de 1263 mp;
dana nr. 2, lungimea cheului fiind de 120 m pentru marfuri generale;
danele 3-4, lungimea totala a cheului fiind de 200 m pentru marfuri generale, avand in dotare doua macarale de 5tf, si o0 magazie pentru depozitare marfuri cu o suprafata de 1520 mp;
danele nr. 5 si 6, cu lungimea cheului de operare de 160 m pentru minereu, carbune fiind dotata cu macara de cheu de 16tf. Si platforma portuara. Santierul Naval Cernavoda(ARGOS),executa reparatii si constructii nave fluviale si are in dotare cala de lansare ateliere si dana de armare. La km. 300+700 se afla podul mixt rutier si feroviar. Podul este semnalizat pentru navigatie, iar navigatia se face in ambele sensuri intre pilonii III si IV, ce corespund cu podul feroviar ce se afla la km. 300.

ZONE DE IERNATIC SI ADAPOST
Iernaticul din Bazinul Portului Rousse
Este situat la km. Flv. 495,850 in amonte de portul Rousse.
Lungimea bazinului este de 500 m
Latimea bazinului este de 100 m
Largimea la acces in canal este de 80 m
Adancimea asigurata este de 2,00 m la cota 0 Rousse
Capacitatea bazinului este pentru 70 nave ce pot ierna in siguranta.


Iernaticul din Bazinul Plantelor

Intrarea in bazinul plantelor este la km. Flv. 489,800.
Lungimea bazinului este de 2300 m
Latimea bazinului este de 50-70 m
Largimea la acces in canal este de 40-50 m
Adancimea asigurata este de 2,00 m la cota 0 Giurgiu
Capacitatea bazinului este pentru 120 nave ce pot ierna in siguranta.
Stationarea navelor petroliere este reglementata astfel; tancurile incarcate la malul sting, in aval de gura, iar cele goale la malul ostrovului Ciobanu.
Iernaticul din Bazinul Veriga
Intrarea in bazinul plantelor este la km. Flv. 492,150.
Lungimea bazinului este de 1000 m
Latimea bazinului este de 120-150 m
Largimea la acces in canal este de 40-50 m
Adancimea asigurata este de 2,50 m la cota 0 Giurgiu
Capacitatea bazinului este pentru 150 nave ce pot ierna in siguranta.
Stationarea navelor petroliere este interzisa.


Iernaticul Mocanu
Intrarea in iernaticul Mocanu este la km. Flv. 482,500.
Lungimea iernaticului este de 350 m
Latimea iernaticului este de 45 m
Largimea la acces in canal este de 35 m
Adancimea asigurata este de 1,50 m la cota 0 Giurgiu
Capacitatea bazinului este pentru 15 nave petroliere ce pot ierna in siguranta.
Este destinat in general navelor petroliere.

I
Iernaticul din bazinul Portului Cernavoda
Intrarea Bazinului Cernavoda in iernatic este la km. Flv. 299,900.
Lungimea iernaticului este de 800 m
Latimea iernaticului este de 350 m
Largimea la acces in canal este de 40-60 m
Adancimea asigurata este de 3,00 m la cota 0 Cernavoda
Capacitatea bazinului este pentru 300 nave.
Iernarea navelor petroliere este interzisa.
CAPITOLUL 4
PRINCIPII GENERALE PRIVIND NAVIGATIA PE TIMPUL ZILEI
2. PRINCIPII GENERALE PRIVIND NAVIGATIA PE TIMPUL NOPTII
1. Pentru desfasurarea in deplina siguranta a navigatiei pe timpul zilei, conditia esentiala o constituie cunoasterea temeinica a semnalizarii plutitoare si costiere. Cand spunem ca trebuie cunoscuta temeinic semnalizarea avem in vedere urmatoarele elemente:
a)-Cunoasterea caracteristicilor si semnificatiei semnelor si semnalelor conform prevederilor Regulamentului de Navigatie pe Dunare.
b)-Pozitia kilometrica a semnalelor.
c)-Pozitia semnalului fata de maluri, in cazul balizajului plutitor.
d)-Natura si marimea obstacolului marcat de semnal.
e)-Conditiile hidrologice din zona semnalului si anume daca natura curentilor determina deriva catre semnal ("atrage"), in sens opus ("arunca") sau nu exista nici un efect ("indiferent").
Cunoasterea semnalizarii, cu aceste particularitati, permite indeplinirea celei de-a doua faze necesare navigatiei si anume reperarea.
Prin a ne repera intelegem orientarea pe anumite repere (semnale, repere naturale sau artificiale) astfel incat sa ne mentinem in permanenta inscrisi corect in drumul navigabil indiferent de sensul de navigatie.
Realizarea dirijarii convoiului sau a navei, avand la baza o cunoastere exacta a semnalizarii si o reperare perfecta se realizeaza prin orientarea permanenta fata de reperele prova consecutive si urmarirea distantei la travers fata de malul pe partea caruia suntem inscrisi. Este necesar astfel ca in permanenta sa avem semnalizate limitele stanga si dreapta a senalului precum si axul acestuia. In aceasta situatie la traversari ale senalului navigabil semnalizate cu ajutorul farurilor si/sau jaloanelor de aliniament, se folosesc pentru orientare si reperare si reperele pupa.
Intalniri
Din practica de navigatie putem afirma faptul ca in zonele unde drumul urmareste partea malului drept, intalnirile se fac prin bordul tribord. Pentru realizarea acestei intalniri, in conformitate cu Regulamentul de navigatie pe Dunare - in sectorul romanesc (in continuare R.N.D.) se foloseste semnalul de "AUSTEK" - constituit dintr-o lumina intermitenta puternica pozitionata in bordul tribord.Pentru realizarea intalnirii in zone unde drumul navigabil urmareste partea malului stang, intalnirile se fac prin bordul babord. La executarea acestor intalniri nu se foloseste austekul.In portiunile cu dificultate ale drumului, unde intalnirile nu se pot executa, zonele fiind semnalizate prin semnalul costier A4 din R.N.D., navele care naviga amonte dau prioritate celor care naviga aval ("coboara"). R.N.D. stabileste o regula generala a intalnirilor si depasirilor. Astfel:
-Navele care naviga amonte ofera drumul navelor care naviga aval;
-Navele care naviga aval pot fi de acord cu drumul oferit si il urmeaza. In cazul in care acestea nu sunt de acord cu drumul oferit, ele vor alege drumul opus pentru intalnire, pe care il vor urma imediat, si vor comunica prin semnale si/sau radiotelefon decizia luata;
-Navele care naviga amonte se vor conforma, lasand loc liber pentru intalnire in bordul ales de navele care naviga aval.Principiile intalnirii sunt reglementate prin R.N.D. cap.6.3, care stabileste si semnalele fonice si/sau optice ce se folosesc la intalniri.
Depasiri
In cazul navigatiei in amonte, unde drumul navigabil urmareste partea malului drept, depasirile se executa in general prin tribord. In cazul navigatiei in aval, depasirile se vor efectua prin babord. In cazul navigatiei in amonte, unde drumul navigabil urmareste partea malului stang depasirile se vor face prin babord. In cazul navigatiei in aval depasirile se vor face prin tribord.Depasirile se vor putea efectua numai in portiunile de fluviu unde:
-drumul navigabil are o latime suficienta;
-nu este incomodata miscarea altor nave sau convoaie;
-nava sau convoiul ajuns din urma are posibilitatea sa permita depasirea.
Depasirea este posibila si permisa din punctul de vedere al R.N.D., atunci cand nava sau convoiul care ajunge din urma s-a asigurat ca aceasta depasire nu prezinta pericol. Nava sau convoiul ajuns din urma isi va micsora viteza astfel incat depasirea sa se execute in timpul cel mai scurt.
Depasirile sunt reglementate in R.N.D., cap.6B, care stabileste si semnalele fonice si optice necesar de emis in asemenea cazuri.
Intoarcerea
Zonele in care este permisa intoarcerea sunt semnalate cu semnale costiere de indicatie E8. Este recomandabila alegerea unei zone astfel semnalizate pentru intoarcere, deoarece acestea au coditiile optime necesare unei asemenea manevre:
-curent slab si cu directie constanta;
-spatiu de intoarcere suficient ;
-o buna vizibilitate ;
-spatiul se afla in afara zonelor de trafic intens.
In acest sens, zonele de intoarcere sunt stabilite in aval sau amonte de porturile fluviale, iar pe lungimea caii navigabile in amonte zonelor cu dificultate unde intalnirile sunt interzise.Totusi pentru a intoarce convoiul trebuie sa tinem cont de cateva elemente, indiferent daca efectuam rondoul intr-o zona semnalizata sau nu. Astfel:
-inainte de inceperea rondoului ne asiguram ca in timpul intoarcerii nu vom obliga celelate nave sau convoaie sa-si modifice drumul sau viteza, sau sa ancoreze datorita manevrelor noastre;
-se va alege o zona cu spatiu suficient corelat cu gabaritul de lungime al convoiului;
-se vor emite semnalele de intoarcere prevazute de R.N.D.
-inainte de inceperea manevrei de intoarcere, in cazul convoaielor care naviga aval, viteza acestora va fi redusa pana la limita guvernarii, astfel incat dupa punerea carmelor banda in bordul de rondou si a motoarelor principale pe drum, efectul de guvernare sa fie maxim, iar deriva si inertia convoiului sa produca efecte minime.
Navigatia la aceeasi inaltime
In generel navigatia la aceeasi inaltime nu este recomandata de R.N.D. Conditiile unei asemenea navigatii sunt:
-existenta unui spatiu suficient;
-nestanjenirea altor nave sau convoaie;
-posibilitatea pastrarii unei distante de siguranta fata de convoiul cu care se naviga la aceasi inaltime.
Navigatia in deriva
Navigatia in deriva este interzisa de R.N.D.
Navele care se "lasa in curent" cu prova orientata in amonte si motoarele puse pe "inainte", sunt considerate nave care naviga in amonte. Principii generale privind practicarea navigatiei pe timpul noptii.Pe timpul noptii problema principala a navigatiei este lipsa totala sau partiala a vizibilitatii, fapt pentru care reperarea in drumul navigabil si orientarea in interiorul acestuia se bazeaza pe urmatoarele elemente:
-observarea directa a drumului in caz de "luna plina";
-vizualizarea cu ajutorul proiectoarelor a semnalelor costiere si plutitoare neluminoase, precum si a distantei fata de mal;
-urmarirea imaginii radar si orientarea convoiului in functie de indicatiile acestuia;
-manevrarea carmei prin combinarea informatiilor de pe ecranul radar cu cele ale indicatorului de giratie;
-urmarirea limitei de adancime indicata de sonda ultrason.
Dupa cum observam navigatia pe timpul noptii se bazeaza pe observarea directa simultan cu cea a aparaturii de la bord. Din acest motiv, completarea informatiilor obtinute se face cu ajutorul experientei acumulate in timpul navigatiei de zi, prin cunoasterea in amanuntime a specificului zonei de navigatie, a gabaritelor, efectului curentilor si a semnalizarii. Experienta dobandita la navigatia de zi completeaza astfel informatiile date de aparatura de navigatie, permitand evaluarea parametrilor de drum intr-un mod cat mai exact. Pentru exemplificare imaginea radar trebuie evaluata tinand cont de urmatoarele elemente:
-intemperiile determina bruiaj pe ecranul radar, datorat reflexiilor multiple care pot ascunde anumite tinte,
-reflexiile puternice date de constructii hidrotehnice (baraje, poduri, piloni),
-efectul de bruiaj radar al valurilor care pot ascunde reflexia provenita de la geamanduri, jaloane sau scondri;
-inaltimea joasa a malurilor poate sa nu fie vizualizata pe ecran, conturul care apare fiind de la obstacole din spatele malului este afectata exactitatea conturului malului,
-semanlizarea plutitoare care nu are reflectori radar nu va fi vizualizata constant.
Datorita celor aratate imaginea radar trebuie interpretata cu anumite rezerve. In completarea ei se foloseste iluminarea malurilor, a semnalizarii costiere si plutitoare neluminoase cu ajutorul proiectoarelor. Folosirea proiectoarelor incumba anumite rezerve si anume:
-fascicolul de lumina produce un efect de apropiere a imaginii obiectelor luminate;
-intunericul produce un efect de departare a imaginii observate in intuneric.
Compararea spatiilor observate in conditii de intuneric apoi de lumina permite o evaluare a distantelor cu marja scazuta de eroare. Masurile de siguranta minime care se impun pe timpul navigatiei cu vizibilitate redusa sunt prevazute de R.N.D. la articolele 6.30 si 6.32.Ne punem intrebarea in mod firesc, ce conditii trebuiesc indeplinite pentru realizarea unei navigatii in deplina siguranta. Este bineinteles, nevoie de un ansamblu de masuri tehnice si organizatorice pentru realizarea unui asemenea obiectiv. Vom comenta in continuare aceasta problematica prin prisma unei perspective dinamice.
SECTORUL DIFICIL DE NAVIGATIE CUPRINS INTRE
KM.FLV.530 SI KM.FLV.515-ZONA BATIN
CONDITII SPECIFICE DE NAVIGATIE A ZONEI
1.In zona de cap al Ostrovului Batin, intre km.532 si km.526 sunt amplasate semnalele A4, B7, intalnirea este interzisa datorita ingustarii senalului navigabil, care la ape mici ajunge pana la aproximativ 80 metri.
2.Intinsuri mari de nisip la ambele maluri (mal stang intre km.523 si km.524 si mal drept intre km.520 si km.530).
3.La cote scazute adancimile sunt sub gabarit.
4.Indiferent de sensul de navigatie, datorita sinuozitatii drumului navigabil, se formeaza deriva spre limitele dreapta si stanga .
5.Curs navigabil instabil, cu depuneri de aluviuni in senalul navigabil, fapt pentru care in mod frecvent se modifica amplasamentul semnalizarii in zona cuprinsa intre km.530-517. Din acest motiv se impune o reperare exacta inainte de a intra in sector. Uneori, la cote scazute trecerea in portiunea km.525-521 se efectueaza in mod succesiv cu cate o unitate din convoi, operatiune care in limbajul specific navigatiei fluviale se numeste "tug".In vara anului 2005 adancimea minima in sector, la km. 526, a fost de 170 cm., masurata la cota zero mira Zimnicea.
Navigatia in aval
Intrarea in zona Batin se incepe o data cu apropierea de km.532 zona in care ne anuntam navigatia in aval prin radiotelefon si coboram inscrisi in traversada spre malul stang, orientati cu G.v. si semnalul B4(8)-semnal de traversare de la malul stang. In aceasta portiune interdictia de intalnire este semnalizata prin semnale A4, B7. Prindem partea malului stang in amonte de semnalul B4(8), si continuam coborarea tinand cont de efectul de deriva pronuntat spre partea malului stang orientati strans cu cele trei G.r. care marcheaza limita nisipului din capul si burta ostrovului Batin. Navele sau convoaiele care urca vor astepta in partea malului stang, la limita stanga a senalului in aval de km.526 oferind drumul prin babord celor care naviga aval. Depasind km.526, ne deschidem usor de malul stang si ne orientam pentru trecere prin "poarta" formata de G.r. si G.v. din zona km.524. La ape mici distanta dintre cele doua geamanduri devine atat de mica incat convoaiele sunt trecute unitate cu unitate. Scade de asemenea si gabaritul de adancime, trecerea in aceste conditii putandu-se face numai cu nave care au pescaje reduse. Depasind km.524, ne orientam in continuare pe culoarul semnalizat de G.v. de la km.524 si G.v. km.522+500, precum si G.r. de la km.523 si G.r. de la km.522. Dupa depasirea G.r. de la km.522 executam traversada orientati cu G.r. de la km.520+400, iar imediat in avalul acesteia prindem partea malului drept si navigam in aval cu o distanta de aproximativ 80-100 metri. In zona km.520 navele sau convoaiele care naviga amonte vor astepta la limita dreapta a senalului navigabil navele care coboara, oferind drumul acestora prin tribord. Desi nesemnalizata zona dintre km. 526 si km.520 cu semnale A4, B7 se recomanda evitarea intalnirilor si depasirilor datorita conditiilor limitate de gabarit si instabilitatii drumului.
Navigatia in amonte
Folosim reper prova in prima faza si treptat reper prova-tribord, geamandura mare verde de la km.flv. 511+700, trecand pe langa aceasta la o distanta de aproximativ 40 m. Dupa ce depasim geamandura mare verde, ne inscriem cu mijlocul cursului si folosim ca reper lung prova, semnalele de la km.flv.515. Dupa depasirea km.515 ne orientam cu prova-tribord pe farul rosu de la km.flv.515+300, fiind inscrisi cu mijlocul cursului pana intram in valada malului drept, orientati cu geamandura verde de la km.flv.516+500. Navigam in zona km.flv.517 la o distanta de aproximativ 70 m. de malul drept. De aici folosim reperele succesive formate din geamandura verde de la km.flv.519 (pana in zona km.flv.521+500) si, apoi descriind un arc de cerc, geamandura verde mare de la km.flv.522. Pastram o distanta fata de aceasta de aproximativ 30 m. Pentru a continua marsul amonte, folosim reper prova geamandura mare rosie din amonte de statia de pompare, evitand caderea ce se formeaza intre geamandura mare verde de la km.flv.522 si geamandura mica verde de la km.flv.523. Ne apropiem de malul stang in zona geamandurii rosii de la km.flv.524, pe care o depasim la distanta de 50 m. Vom pastra aceasta distanta pana in zona km.flv.528+500. Giram usor la babord si vom folosi in prima faza ca reper larg-deschis prova-babord, geamandura mare rosie da la km.flv.530, trecand pe langa aceasta la o distanta de 50 m. Ne apropiem de malul drept in zona km.flv.532 mentinand fata de acesta o distanta de aproximativ 70-80 m. pe care o vom mentine pana in zona km.flv.534+500. In continuare marim distanta pana la 100-120 m. pentru a evita anafoarele ce se formeaza in amonte de km.flv.535. Dupa depasirea acestui kilometru ne apropiem din nou de malul drept, folosind ca reper prova-babord, farul rosu din aval de km.flv.536.
SECTORUL DIFICIL DE NAVIGATIE CUPRINS INTRE
KM.FLV.515 SI KM.FLV.503-ZONA CAMADINU
CONDITII SPECIFICE DE NAVIGATIEI A ZONEI
In zona Camadinu sunt inregistrate trei variante de drum, ceea ce releva o pronuntata instabilitate a cursului apei. In varianta veche, pe cursul principal al Dunarii, navigatia se poate efectua numai in conditii de ape medii si mari. In aceasta portiune si in special intre km. 511 si 508 adancimile sunt mici datorita depunerilor aluvionare.In varianta a doua, varianta de drum folosita in trecut numai la navigatia in conditii de cote scazute, ramanand apoi o perioada de timp ca unica varianta, trecerea printre Ostrovul Camadinu si malul stang prezinta urmatoarele conditii de dificultate:
- senal ingust, in special in zona de cap a ostrovului, unde la ape mici senalul ajunge la aproximativ 60 m. latime;
- doua zone cu raza mica si medie de curbura care determina navigatia cu deriva pronuntata (cadere), in mod alternativ spre malul stang, spre ostrov si apoi din nou spre malul stang;
- lipsa vizibilitatii dintr-o parte in alta a sectorului.
In varianta actuala drumul se pastreaza cu aceleasi conditii de dificultate ca in varianta a doua intre km.511 si km 508. In aval de km.508, datorita eroziunii pronuntate a ostrovului Camadinu acesta a fost impartit in doua ostroave mai mici. Intre km 508 si km 505 se impun urmatoarele conditii de dificultate:
- lipsa vizibilitatii la trecerea printre cele doua ostroave nou create,
- interzicerea intalnirilor intre km.510 si km.506 ca urmare a lipsei de vizibilitate si latimii scazute a senalului.
Varianta veche
Din zona km.515, depasind Fre ne orientam mai mult cu mijlocul si apoi cu capul ostrovului Camadinu. In zona km.513 suntem inscrisi cu 1/3 din latimea fluviului pe partea malului drept si apoi ne apropiem de mal pe masura ce atingem zona colturilor de mal stancos de la km.512. Prindem partea malului drept si coboram cu o distanta de aproximativ 80-100 metri distanta de la mal pana la km.507. Depasind aceasta zona ne orientam treptat cu capul ostrovului Liuliak si apoi prindem partea ostrovul Camadinu. Iesirea din sector este identica cu cea actuala. In prezent navigatia in aceasta varianta nu se practica datorita adancimilor mici si foarte mici din portiunea cuprinsa intre cap ostrov Camadinu si malul drept.Varianta aceasta este aplicabila in conditii de cote cu valori de peste 300 cm. dupa mira port Giurgiu.
Varianta a doua
Pana la km.508 navigatia se desfasoara in conditiile variantei actuale. Navele si convoaiele care urmaresc in continuare senalul printre ostrov Camadinu si malul stang isi vor anunta prin radiotelefon intentia lor si vor continua navigatia in aval tinand cont de efectul pronuntat de deriva spre malul ostrovului si apoi spre malul stang. In zona cuprinsa intre km.508 si km.505 intalnirile si depasirile sunt interzise intre convoaie. In cazul in care ele devin inevitabile se recomanda celor care au depasit km.505 sa elibereze complet senalul prin manevra de alipire la malul ostrovului si sa ofere intalnirea pentru cei ce coboara prin bordul tribord. Navele sau convoaiele care naviga amonte trebuie sa astepte pentru intalnire convoaiele care coboara sub km.504 si sa ofere intalnirea prin bordul babord.
Varianta actuala
Din zona km.514 ne vom anunta navigatia in aval prin radiotelefon si ne pregatim pentru intrarea in portiunea dificila Camadinu. La ape mici G.r. poate fi dublata pentru a ajuta la o inscriere cat mai exacta in portiunea de cap a ostrovului. Intrarea se face strans pe G.r., pregatiti pentru a contracara efectul de deriva (cadere) spre malul stang. Dupa intrare ne mentinem inscrisi cu mijlocul sau cat mai aproape de partea malului ostrovului. Ne anuntam din nou pozitia prin radiotelefon in zona km.508+500 si ne orientam cu G.r. - G.v., "poarta", care marcheaza iesirea de dupa ostrov, tinand strans malul ostrovului, adica limita stanga a senalului.Convoaiele si navele care urca vor astepta in zona km.504, in apropierea malului stang, iesirea din portiunea cu dificultate a celor care naviga aval, lasand loc pentru intalnire prin bordul babord. Convoaiele pot avansa pana sub semnalul A4 de la km.506 mal stang, navigand in apropierea malului ostrovului si oferind drumul prin babord celor care coboara. In varianta 1998 geamandura verde din coada ostrovului Camadinu a fost plantata aproximativ la mijlocul distantei dintre coada acestuia si capul ostrovului Liuliak, ca urmare a depunerilor aluvionare din aceasta portiune. In primavara anului 2000, ca urmare a eroziunii ostrovului Camadinu deschiderea dintre km.507 si km.508 avea o latime de aproximativ 800 metri, masurata la cota 396 cm. mira hidrometrica port Giurgiu..
SECTORUL DIFICIL DE NAVIGATIE CUPRINS INTRE
KM.FLV. 500 SI KM.FLV. 483-ZONA PORT GIURGIU
In portiunea de fluviu cuprinsa de porturile Giurgiu si Russe este plantata semnalizare costiera portuara foarte densa care nu foloseste navigatiei. Ea are ca scop indicarea radelor, cu zonele de stationare la ancora organizate pe tipuri de nave si marfa.
CONDITII SPECIFICE DE NAVIGATIE A ZONEI
In sectorul cuprins intre km.500 si km.483 elementele de dificultate sunt urmatoarele:
- trafic intens in zona km.496-490 zona care se constituie in rade si bazine portuare adiacente ale porturilor Giurgiu si Russe,
- navigatia in sector se desfasoara cu vigilenta sporita pe timpul noptii cand luminile si semnalele de navigatie pot fi confundate cu lumini de la mal,
este recomandata navigatia cu radarul in functiune pentru a se realiza o mai buna reperare a semnalelor plutitoare si a navelor sau convoaielor aflate in mars,
este necesara o atenta ascultare radio, pentru identificarea convoaielor care naviga in zona precum si a navelor care efectueaza manevre sau treceri de la un mal la altul-treceri cu bacul.
- intre km.491 si km.487 sunt impuse reguli speciale de navigatie pentru trecerea pe sub podul Giurgiu - Russe
Depasind km.504 ne inscriem in navigatie aval cu mijlocul albiei sporind vigilenta in ascultarea radio. Pastram acest reper pana in zona km.493 - amonte pontoane port Giurgiu, unde ne orientam cu G.r. luminoasa de la km.491+500 si ne pregatim pentru executarea trecerii pe sub pod. In acest scop ne anuntam prezenta si drumul pe care il avem de urmat in radiotelefon si urmarim inscrierea printre pilele 6 si 7 semnalizate pentru mars aval cu semnalele RND, D1b si D2, trecerea recomandata in singurul sens indicat si recomandarea de a se tine in spatiul indicat.In portiunea cuprinsa intre km.504 si km.492 intalnirile se vor executa prin bordul babord.
Reguli de navigatie la trecerea pe sub podul Giurgiu - Russe:
Podul Giurgiu-Russe este amplasat la km.488+700. Este un pod mixt, cale ferata si rutier. Podul prezinta doua deschideri autorizate pentru navigatia intr-un singur sens, una pentru amonte printre pilele nr.4 si 5, si una pentru aval, printre pilele 6 si 7, precum si o deschidere cu travee mobila in partea centrala, intre pilele 5 si 6.Caracteristicile principale ale deschiderilor sunt:
1.Deschiderea pentru navigatia amonte, din partea malului stang, pilele 4-5:
- inaltimea libera de trecere este de 20,20 metri la cota "O" Giurgiu
- latimea deschiderii este de 150 metri
- deschiderea prezinta curent de travers spre pila de la limita dreapta, navele sau convoaiele care urca se vor inscrie la limita stanga a senalului navigabil pregatite pentru a contracara din timp printr-o orientare eficienta efectul de deriva spre pila de la limita dreapta (pila nr.5).
2.Deschiderea pentru navigatia aval, din partea limitei drepte a senalului navigabil, pilele 6-7, are aceleasi caracteristici ca deschiderea pentru amonte, cu singura deosebire ca nu exista curenti de travers, deci navele sau convoaiele care trec nu sunt derivate spre nici una din pilele podului.
3.Deschiderea centrala - cea a traveii mobile, pilele 5-6:
- inaltimea libera de trecere cu traveea ridicata este de 27,60 la cota "O" Giurgiu
- latimea dintre pile este de 70 metri
-
fara curenti de travers. 
Navele sau convoaiele care naviga in amonte si depasesc km.483, isi anunta prin radiotelefon inscrierea pentru trecerea podului , iar in portiunea dintre km.483 si km.487 urmaresc parte malului drept oferind drum prin tribord celor care naviga in aval. Din zona km.487 se incepe traversarea la malul stang, cu orientare pe G.r.- G.v. care marcheaza incadrarea intre pilele 4 si 5 ale podului semnalizate pentru trecerea spre amonte. La inceperea traversarii se anunta din nou pozitia in navigatia prin radiotelefon, si se ofera pentru intalnire bordul babord. Datorita formei capului Ostrovului Mocanu, curentul apei intre pilele 4 si 5 ale podului este oblic. Din acest motiv convoaiele se vor inscrie in urcare mai mult cu limita stanga a senalului, dinspre pila nr.4, urmarind contracararea efectului curentului si pericolului lovirii pilei nr.5. Pentru orientare se folosesc semnalele D1b instalate pe centrul tablierului podului.In portiunea situata intre km.487 si km.482 navigatia amonte si aval a navelor sau convoaielor se va desfasura cu deosebita vigilenta deoarece la limita dreapta a senalului se afla amplasate epiuri de protejare a malului drept.
SECTORUL DIFICIL DE NAVIGATIE CUPRINS INTRE
KM.FLV. 480 SI KM.FLV.450-ZONA GOSTINU-LUNGU
MOTIVELE CARE PRODUC DIFICULTATEA
- in portiunile cuprinse intre km.476-473, in ambele variante de drum si km.463-460 latimea senalului navigabil este de aproximativ 80-100 metri;
- lipsa vizibilitatii dintr-o parte in alta pe portiunea dintre km.476-473 pentru varianta Ostrov Gostinu - mal stang si intre km.475-469 pe varianta actuala;
- deriva (caderea) pronuntata spre limita dreapta a drumului in zona cuprinsa intre km.469 si km.465, zona protejata cu epiuri pentru apararea malului drept;
adancimi mici si drum care se ingusteaza in perioada apelor mici ajungand la 80-90 metri in portiunea cuprinsa intre km.464 si km.461.Depasind Fve. de la km.479 ne pastram pozitia in coborare cu partea malului stang. La o distanta de aproximativ 200 metri ne anuntam prezenta in radiotelefon si ne orientam prova pe capul ostrovului Gostinu. Continuam marsul in aval in acest mod pana in zona km.477, iar in continuare ne orientam cu G.r. de la km.476 intrand cu mijlocul intre ostrovul Gostinu si ostrovul Aleco. Continuam orientati cu mijlocul intre G.v. din zona de centru Ostorv Gostinu, la ape mici ne inscriem mai mult cu partea dreapta a drumului. In zona cozii ostrovului Gostinu tinem partea ostrovului Aleco si a nisipurilor impadurite pana la km.471. Din aceasta pozitie ne orientam cu G.r.de la km.469+900 si km.468. Trecerea printre geamandurile rosii de la limita dreapta a drumului si capul Ostrovului Lungu se executa cu 1/3 din latime spre limita dreapta, permitand celor care urca sa urmareasca partea ostrovului Lungu si sa ofere drum prin babord celor care coboara. Depasind G.r. de la km.468, continuam coborarea aliniati cu malul la o distanta de aproximativ 100-120 metri, la ape mari cu distanta de 200 - 250 metri, iar dupa depasirea cheului de la Riachovo, si a Fre. montat pe acest cheu, orientam prova pe 'poarta' formata din G.r. si G.v. de la km.463 (coada ostrov Ceaika, cap nisip Michka) unde latimea drumului navigabil este de aproximativ 80 metri, si apoi urmarim apropierea treptata de limita de la malul stang folosind pentru reperare G.v. din zona km.460+900. Continuam astfel navigatia in aval si prindem partea malului stang in dreptul km. 459+400, dupa care ne orientam cu mijlocul intre G.r. si G.v. de la km. 458 orientand prova convoiului pentru a prinde limita dreapta a senalului navigabil in zona km.456. Din aceasta pozitie ne inscriem pentru intrare in zona ostrovului Brisleanu. Varianta de navigatie intre ostrovul Gostinu si malul stang,in cazul in care fiind inscrisi in coborare in zona km.477, observam in capul ostrovului Gostinul o geamandura rosie, ne vom pregati pentru executarea navigatiei printre ostrov si malul stang. Aceasta situatie poate sa apara in conditii de ape mici, adancimile in portiunea respectiva fiind mai favorabile. In aceasta situatie, in coada ostrovului Gostinu se planteaza o a doua geamandura rosie. In aceasta portiune se recomanda evitarea intalnirilor intre convoaie datorita senalului ingust, pericolelor de la limita stanga a drumului din zona km.475 semnalizat prin semnal C2(8). Inscrierea in aceasta trecere se executa cu mijlocul pentru ambele sensuri. Este recomandat de asemenea ca pentru evitarea efectului de deriva spre malul stang, la inscrierea spre aval intrarea cu convoi sa se execute cu viteza redusa urmand ca dupa intrare sa se puna motoarele "pe drum", castigand astfel o capacitate marita de guvernare.
Varianta de navigatie prin bratul Lungu
Aceasta varianta de trecere poate fi folosita de catre convoaie nu mai mari de 6 barje si, recomandabil, numai pentru navigatia in amonte, intrarea fiind executata prin apropierea de malul stang la aproximativ 60 metri dupa depasirea G.v. de la km.461. Iesirea in drumul oficial se executa in zona km.470, Fve sau G.v. fiind lasate la babord. Aceasta varianta a fost rar uzitata datorita drumului ingust si a curentului foarte puternic. Din aceste motive trecerea s-a folosit numai la ape mici cand efectul curentului era mai scazut si cand trecerea in amonte de la km.463 nu poate fi depasita de convoi datorita pescajului mare a uneia sau mai multor unitati.Incepand cu vara anului 2000 aceasta varianta este cea oficial folosita, fiind semnalizata cu geamanduri rosii la km.470 si km.463. In aceasta portiune se vor evita intalnirile, cei care se apropie de sector isi vor anunta prezenta prin radiotelefon. Cei care naviga aval vor reduce din timp viteza astfel incat sa efectueze intalnirea in amonte de km. 470, iar cei care naviga aval vor astepta, pentru intalnire prin bordul babord, in avalul geamandurii verzi de la km.462.
SECTORUL DIFICIL DE NAVIGATIE CUPRINS INTRE
KM.FLV. 435 SI KM.FLV.390-ZONA OLTENITA-COSUI
CONDITII SPECIFICE DE NAVIGATIE A ZONEI
Trecerea Cosui
In portiunea cap ostrov Cosui, km.428-426 se formeaza cadere spre nisipul de la limita dreapta. La cota zero Oltenita intre km.428 si km.426 adancimile scad sub limita de gabarit.In portiunea cuprinsa intre km.426-423 se formeaza deriva spre limita stanga, aceasta portiune este semnalizata cu semnalele B7, B8, B11b. In variantele de semnalizare anterioare erau plantate semnale A4 - interzicerea intalnirilor-la km.423 si km.426. Amonte de km.425, la limita de la malul stang sunt epave sub apa, fapt pentru care este plantata geamandura verde de la km.426,3. In perioada apelor mici senalul se ingusteaza mult, ajungand la 80-90 m. Pe portiunea cuprinsa intre km.421+500 si km.418 se formeaza cadere spre intinsura de la limita stanga datorita configuratiei malului si uneori a curentului care vine de pe bratul Cosui. In zona km.421+500 - 419, la malul drept sunt doua bancuri de nisip si piatra, iar spre partea malului stang intinsura mare de nisip.
Trecerea Varasti
In portiunea de drum cuprinsa intre km.403+900 si km.396+700 erau interzise intalnirile, fiind plantate semnalele A4, in varianta de drum pe la malul stang, care nu se foloseste in prezent. Zona cu drum instabil. Datorita instabilitatii patului albiei in ultimii ani s-au folosit doua variante de drum. Pe ambele variante drumul navigabil are o latime cuprinsa intre 90 si 100 metri, determinata de cota apelor. Pentru varianta drumului intre ostrovul Varasti si malul stang, se formeaza la navigatia in aval, deriva spre mal.Nu avem vizibilitate dintr-o parte in alta a zonei.
Trecerea Ciocanesti
In portiunea de drum cuprinsa intre km.396 si km.389 sunt interzise intalnirile fiind plantate semnale A4.Principala dificultate este formarea la navigatia in aval a unei derive (cadere) pronuntate spre malul stang.
Trecerea Ceaika
In portiunea de drum cuprinsa intre km.387 si km.381 sunt interzise intalnirile fiind plantate semnalele A4 in ambele puncte.
Zona cu drum instabil. Datorita instabilitatii patului albiei in ultimii ani s-au folosit trei variante de drum, trecerea pe la malul stang printre mal si nisipurile impadurite din dreptul ostrovului Ceaika si trecerea printre ostrov si aceste nisipuri impadurite.Drumul se ingusteaza ajungand la aproximativ 60-90 metri in perioada apelor mici in portiunea cuprinsa intre km. 385 si km.382 pentru ambele variante. Datorita lipsei vizibilitatii dintr-o parte in alta a zonei este necesara o ascultare continua in canalul 16 VHF si anuntarea intrarii in sector in acest canal. Din zona km.443 prindem partea malului drept si ne inscriem in navigatie aval cu aproximativ 100-180 metri fata de acesta. Depasind km.440 incepem o traversada lunga cu orientare la Fve din aval km.437. Prindem partea malului stang in dreptul acestui far si continuam coborarea cu aproximativ 100 - 180 metri fata de acest mal. Depasind km.434 ne deschidem cu mijlocul cursului si ne mentinem astfel pana aval km. 430. Din aceasta pozitie ne anuntam intrarea in trecerea Cosui prin radiotelefon si urmarim inscrierea in latimea marcata intre G.v. de la km.427+300 si G.r. de la km.426. Ne inscriem astfel printre epavele marcate de G.v. si limita intinsurii nisipurilor din partea ostrovului Cosui. Depasind km.426 ne inscriem in coborare cu o distanta de aproximativ 80 - 180 metri fata de malul stang iar in zona km.423 ne mai deschidem putin fata de mal pentru a evita caderea pe coltul din avalul acestui semnal kilometric. Dupa depasirea km.423 ne orientam cu G.r. de la km.421+500 si trecem cu mijlocul spatiului delimitat de aceasta urmarind reperarea cu G.r. de la km.419. Dupa depasirea G.r.de la km.419 ne mentinem in coborare cu o distanta de aproximativ 100 - 180 metri fata de malul drept. Navigam astfel pana in aval de km.416. Navele sau convoaiele inscrise pentru navigatia in amonte, aflate in zona km.420, vor putea avansa pana si G.r. de la km.421+500 asteptand sub aceasta pe cei ce naviga aval si oferind pentru intalnire drumul prin tribord. In cazul convoaielor mici sau navelor izolate, daca timpul permite, ele pot avansa pana in zona km.422+500 sub colt, apropiindu-se de limita stanga a drumului si oferind bordul babord pentru intalnire. Se recomanda evitarea intalnirilor in zona coltului de la km.423. In continuare urmarim indeaproape limita stanga a drumului oferind pentru intalnire bordul babord. Vom evita intalnirile in portiunea km.426-427 in special in perioada apelor mici si mijlocii. Dupa depasirea km.427 efectuam intalnirile prin bordul babord.
Trecerea Varasti
Depasind G.v. de la km.411 ne inscriem in coborare orientati cu jumatatea distantei dintre aceasta geamandura si malul drept. Prindem km.408 cu o distanta de aproximativ 200-250 metri fata de malul stang si ne reperam cu geamandura rosie de la km.408. In varianta de drum din anul 1996 folosim pentru orientare geamandura verde de la km.406 si prindem partea malului drept in aval da km.405. Navigam pastrand o distanta de 150-180 metri fata de malul drept pana in aval de km.397. Ne pastram distanta de aproximativ 80-100 metri fata de malul drept si ne reperam cu G.r. din zona km.408. Navigam aval cu o distanta de aproximativ 150 - 180 metri fata de malul drept folosind pentru orientare G.r. de la km.403,5 si G.v. de la km.402,8.
Varianta veche: Dupa depasirea km.404 continuam coborarea cu aceeasi distanta fata de malul drept si de la km.402 ne reperam cu G.v. de la km.401, G.v. de la km.400+200 si G.r. de la km.400 - cap ostrov Varasti. Incepand de la km.401 intalnirile sunt interzise, semnalele A4, B7 plantate la km.404 si km.396+800 fiind valabile si pentru aceasta varianta de drum. Zona dintre km.400 si km.398 o parcurgem urmarind conturul malului stang, la aproximativ 80 - 90 metri orientandu-ne la iesire cu G.r. -km.398. Navele sau convoaiele care naviga amonte vor inainta pana in dreptul semnalului A4 de pe malul drept, din avalul km.397 in apropierea malului drept si vor oferi drumul celor care coboara prin bordul tribord (austek), in cazul ambelor variante.
Trecerea Ciocanesti
Prin semnalele A4 de la km.396 si km.389 intalnirile si depasirile in sector sunt interzise. In zona km.396 ne anuntam prin radiotelefon si ne angajam in traversada lunga orientati succesiv cu capul ostrovului apoi cu malul stang. Prindem partea malului stang in zona km.394, unde in anii anteriori se afla plantat un Fve (B2(8)). Din aceasta pozitie continuam coborarea cu aproximativ 80 metri fata de malul stang. La iesire ne orientam cu mijlocul intre malul stang si G.r. din coada ostrovului Ciocanesti (Vetren) punand prova pe directia Fr. de la km.388+700. Prindem partea malului drept in zona farului rosu si continuam coborarea cu o distanta de aproximativ 100-150 metri fata de acesta. Depasind km.387 ne reperam in coborare cu G.v. de la km.386+500. In cazul in care aceasta geamandura lipseste pastram aceeasi distanta fata de malul drept. Navele sau convoaiele care urca vor inainta pana in aval de km.390 si vor astepta la limita stanga a drumului navigabil, oferind bordul babord pentru intalnire.
Trecerea Ceaika
Prin semnalele A4, B7, B8, B11b din zona km.387 si km.381 intalnirile si depasirile in sectorul Ceaika sunt interzise. Trecerea in varianta anului 1999 si 2000: Depasind km.387 pastram distanta de 100-150 metri fata de malul drept, ne anuntam intrarea in zona prin radiotelefon si ne reperam in coborare succesiv cu capul ostrovului Ceaika apoi cu geamandura rosie de la km.384,2. Trecerea se efectueaza printre cele doua ostroave impadurite situate la o distanta de aproximativ 200 metri, la iesire ne orientam cu geamandura verde de la km.382,3. Aval de km.382 prindem partea malului drept (zona port Aidemir) si coboram cu aproximativ 100 metri fata de acesta.Trecerea in varianta anilor 1997- 1999: Depasind km.387 ne anuntam intrarea in zona prin radiotelefon si ne reperam in coborare cu G.v. de la km.386+500. Depasind G.v. punem prova pe capul ostrovului Ceaika si ne inscriem in coborare cu o distanta de maxim 80 metri fata de ostrov, printre acesta si nisipul impadurit de la limita stanga a senalului. Ne reperam in coborare cu G.r. de la km.384,3 si prindem partea malului drept la aproximativ 80-100 metri de mal. Coboram cu aceasta distanta si dupa depasirea G.v. de la km.382+200 ne deschidem la aproximativ 100 metri de mal si intram in zona portului Aidemir. Navele sau convoaiele care urca vor astepta in partea malului drept pe cei care coboara sub G.r. (dupa caz G.v.) de la km.382+200, oferind drumul prin tribord celor care coboara, in cazul ambelor variante.Trecerea in varianta de pana in vara anului 1999-2000: De la km.388, din zona farului rosu ne orientam cu geamandura verde de la km. 387,5 si apoi cu geamandura rosie de la km.386,2. Prindem partea malului stang si navigam aval in apropierea acestuia pana in coada ostroavelor impadurite, la geamandura rosie de la km.382. Depasind aceasta geamandura ne apropiem de partea malului drept, coboram cu o distanta de aproximativ 100-150 metri fata de acesta si intram in zona portului Aidemir.
SECTORUL DIFICIL DE NAVIGATIE CUPRINS INTRE
KM.FLV.375 SI KM.FLV. 350-ZONA CALARASI-DERVENT
MOTIVELE DE DIFICULTATE
Sectorul de navigatie cuprins intre km. 375 si km.350 se imparte in portiuni astfel:
Sectorul cuprins intre km.375 si km.363:
- in portiune km.372-368 efect de deriva spre malul stang,
- latimea senalului navigabil este de aproximativ 100 metri
Sectorul cuprins intre km.359 si km.354:
- latimea senalului navigabil in portiunea km.357-356 este de aproximativ 90 metri;
- anafoare si curent puternic in portiunea km.357-356 datorita ruinelor zidurilor cetatii Dervent aflate la malul drept sub apa;
- in portiunea km.359-356 se formeaza deriva spre malul drept datorita curburii pronuntate a malului ostrovului Talchia. Portiunea este semnalizata cu semnalele costiere A4, B7, B8.
NAVIGATIA IN SECTOR
Din amonte de cheul bacului de trecere de la km.375 ne inscriem in coborare cu partea malului stang la aproximativ 100-120 metri cu G.r. din capul ostrovului Jianu la o distanta de aproximativ 50 m. de acesta si apoi cu G.r. (nu se planteaza permanent) din zona km.371. In functie de cotele apelor aceasta G.r. poate fi inlocuita cu o G.v. In aceste conditii orientarea senalului nu se modifica, schimbarea geamandurilor determinand doar marirea sau micsorarea distantei fata de mal pentru navigatia in ambele sensuri. Din amonte de Fve din zona km.370 ne inscriem in coborare cu o distanta de aproximativ 100 metri fata de malul stang si ne mentinem astfel pana depasim G.r. de la km.368+500. Din aval de aceasta geamandura ne inscriem in traversada spre partea ostrovului Jianu si prindem aceasta parte in amonte de G.r. din zona km. 367, intrare canal Florica.Din dreptul acestei geamanduri continuam coborarea cu partea ostrovului Talchia la aproximativ 100 metri fata de limita dreapta si ne anuntam in WHF canal 16 pozitia, astfel incat cei ce naviga amonte sa poata astepta in zona km.363 la limita stanga a senalului in apropierea malului stang si sa ofere pentru intalnire bordul babord. In zona km.364 tinem strans malul ostrovului Talchia evitand astfel efectul de deriva catre malul stang si urmarim iesirea de dupa coltul de la km.364+500 cu mijlocul cursului. Depasind Fv. de la km.363+400 ne inscriem in coborare la aproximativ 100 metri fata de malul stang. Dupa atingerea km.361 ne deschidem fata de malul stang si intram in traversare spre partea malului drept orientati cu Fr. de la km.358+800. Inainte a a ajunge in dreptul farului ne anuntam pozitia in radiotelefon deoarece intram in zona Dervent care este semnalizata cu semnale de interzicerea intalnirilor si depasirilor. Cei care naviga amonte vor astepta in partea malului stang, sub Fve din zona km.355 oferind pentru intalnire bordul babord. Depasind Fr. de la km.358+800 coboram cu o distanta de aproximativ 70-80 metri fata de malul drept si ne orientam cu G.v. din zona km.357 si G.v. de la km.356. Este recomandat sa se urmareasca atat la coborare cat si la urcare mijlocul dintre geamandurile verzi si malul stang, manevrand instalatia de guvernare astfel incat sa reducem la minim efectele anafoarelor. Indiferent de sensul de mars, la ape mici navele sau convoaiele se vor apropia mai mult de aliniamentul celor doua geamanduri verzi. In conditii de ape mari si numai atunci cand informatiile privind adancimile zonei cuprinse intre km.359 si km 356 sunt sigure se poate folosi trecerea "la drept" peste bancul de nisip din acest sector. Astfel navele vor mentine partea malului stang si vor naviga cu o distanta de aproximativ 100 metri fata de mal. Reintrarea in drumul navigabil se va face o data cu depasirea farului verde din zona km.355+500.Continuam navigatia aval si ne facem iesirea urmarind mijlocul dintre coada ostrovului si malul stang si ne mentinem astfel pana in dreptul Fve de la km.355 +500. De la acest far ne inscriem in traversada lunga spre partea malului drept, orientandu-ne cu coada ostrovului Aurora si apoi cu geamandura verde din zona km.352, capul ostrovului Scurtu unde vom mentine o distanta de aproximativ 200 metri fata de malul drept.
SECTORUL DIFICIL DE NAVIGATIE CUPRINS INTRE
KM.FLV.350 SI KM.FLV.332 - ZONA TURCESCU - INTRAREA BRAT BALA
CONDITII SPECIFICE DE NAVIGATIE A ZONEI
1.Latimea senalului pe intregul sector ramane de aproximativ 90 metri.
2.In zona km.344 avem prag de aproximativ 240 cm.la cota "0" Cernavoda.
3.La trecerea prin zona, in special la marsul in aval se formeaza cadere spre limita stanga, cap ostrov Turcescu in prima faza, apoi spre intinsura de nisip de la limita stanga intre km.343 si km.334. Se formeaza de asemenea cadere spre capul ostrovului Iepurasul (care este taluzat cu piatra) iar la iesirea din zona spre malul stang intre km.340 si km.339.
4.Nu avem vizibilitate dintr-o parte in alta.
NAVIGATIA IN SECTOR
Depasind geamandura verde de la km.350 ne inscriem cu mijlocul cursului, avand ca orientare zona de cap a ostrovului Turcescu. Ne pastram in aceasta pozitie pana depasim km.347 unde in partea malului drept avem piatra. Dupa depasirea km.347, lasam capul ostrovului Turcescu la stanga si ne pregatim de intrare la pragul de la Caragheorghe inscriindu-ne in coborare cu partea ostrovului Turcescu si folosind pentru orientare G.r. de la km.345+500 si G.r. de la km.343+800. Incepand cu km.347 ne anuntam intrarea in zona prin radiotelefon canal 16 si observam vizual cu atentie zona deoarece in portiunea km.345 la km.342 intalnirile sunt interzise prin semnale A4, B8. In perioada apelor mici vom tine mai mult partea ostrovului, latimea senalului navigabil fiind limitata la aproximativ 70-80 metri iar adancimea la cota zero Calarasi fiind de maximum 210 cm. In aceste conditii trecerea se executa prin apropierea imediat dupa depasirea capului ostrovului Turcescu, pe sonda, pana la 5 metri de malul acestuia. Dupa depasirea km.342 ne inscriem cu partea ostrovului Iepurasul si ne orientam cu G.v. de la km 340. Cei care naviga amonte vor astepta aval de aceasta geamandura la limita stanga a senalului si vor oferi intalnirea convoaielor care naviga aval prin bordul babord. Continuam coborarea tinand partea malului stang si ne orientam succesiv cu zona de cap a ostrovului Lebada, apoi cu G.v. de la km.337 - burta ostrovului. In portiunea de trecere dintre ostrovul Lebada si Strambu Mare latimea drumului se limiteaza la aproximativ 80 metri. Din acest motiv este interzisa intalnirea in zona km.338 - 335. In aceasta portiune ne inscriem cu mijlocul intre G.v. si malul ostrovului Strambu Mare, apoi cu partea ostrovului Lebada in portiunea de iesire - coada ostrovului la cel mult 100 metri distanta. Dupa depasirea Fve de la km.335 ne orientam in coborare cu Fre de la km.333+500. Pentru traversada de la km.335 - 334 ne orientam cu semnalul de traversare B3(8). Continuam navigatia aval cu o distanta de malul drept de aproximativ 100 - 120 metri pana in zona km.330+500. In portiunea cuprinsa intre km.334 si km.330 intalnirile se executa prin bordul tribord.
SECTORUL DIFICIL DE NAVIGATIE CUPRINS INTRE
KM.FLV. 332 SI KM.FLV.310 - ZONA FERMECATUL-LUNGU
CONDITII SPECIFICE DE NAVIGATIE A ZONEI
1.Latimea senalului navigabil este de 60-80 metri in portiunea cuprinsa intre km.324+500 si km.324 - cap ostrov Ceaciru.
2.Latimea senalului navigabil este de 70-80 metri in portiunea cuprinsa intre km.323+200 si km.322+500 - cap ostrov Fermecatul.
3.Lipsa vizibilitatii dintr-o parte in alta a bratului Fermecatul.
4.Pe bratul Fermecatul se formeaza deriva spre limita stanga.
5.In portiunea km.322 - la km.319 latimea senalului navigabil este de aproximativ 80-100 metri.
6.Datorita acestor dificultati intreaga zona Ceaciru si bratul Fermecatul este semnalizata cu semnalele A4, B7, B8.
7.La cota zero Cernavoda intalnim portiuni cu adancimi sub 250 cm. astfel: km.318-180 cm.; km.322-140 cm.; km.326-180 cm.
NAVIGATIA IN SECTOR
La intrare pe bratul Fermecatul se formeaza deriva spre nisipul de la limita dreapta (cap. ostrov Fermecatul) motiv pentru care, indiferent de sensul in care se naviga, se urmareste indeaproape geamandura verde de la km.323 sau in lipsa acesteia, se urmareste strans malul ostrovului Tiu. Datorita dificultatilor acestui sector, se recomanda sa se evite intalnirile si depasirile, incepand de la km 325+800, pana in aval de km 318. Navele si convoaiele care naviga amonte, pot astepta in zona km.316, in partea malului stang, oferind drum la babord celor care naviga aval. La navigatia aval, de la geamandura rosie din zona km 325+800 traversam spre capul ostrovului Ceaciru. Treptat lasam capul ostrovului putin la dreapta si ne inscriem strans cu partea ostrovului pana incepe depasirea geamandurii verzi de la km.324. Pe masura ce depasim geamandura dirijam prova navei sau convoiului spre geamandura verde de la km.323. Ne facem intrarea pe bratul Fermecatul tinand strans pe langa geamandura verde si in continuare pe langa malul ostrovului Tiu. Din aval de la km 322 dirijam prova treptat mai mult cu partea ostrovului Fermecatul pentru a se evita caderea spre malul stang al bratului. Pana la iesire evitam malul stang, iar iesirea din zona o facem mai mult cu partea cozii ostrovului Fermecatul. Continuam cu mijlocul cursului pana in zona km.317 de unde ne inscriem treptat mai mult cu partea malului stang. Din amonte de km.314 traversam spre partea malului drept si din zona km.313 urmarim partea malului drept (maximum 80 m distanta, pana in aval de km.311).
Intalniri in sector:
- de la km.311 la km.313 intalnirile se executa in general prin bordul tribord (austec).
- din zona km.313 traversam spre partea malului stang si oferim drum la babord celor care naviga aval, pana in zona km.316.
- dupa depasirea cap ostrov Ceaciru putem executa intalniri prin bordul tribord (austec) pana in aval de geamandura rosie de la km.325+800.
- din aval de geamandura rosie traversam in partea malului stang si oferim drum la babord celor care naviga aval, pana in amonte de km.331.
Se impune o cat mai buna avertizare si informare completa pe intregul sector (radiotelefon, proiector, sirena, etc. ) .
La pragul ,, Musaitul " ( km.325 + 500) adancimea se reduce la 240 cm. la cota ,,0" Cernavoda .
SECTORUL DIFICIL DE NAVIGATIE CUPRINS INTRE
KM.FLV.310 SI KM.FLV.284 - ZONA CERNAVODA-FASOLELE
CONDITII SPECIFICE DE NAVIGATIE A ZONEI
Datorita caracteristicilor cursului, de-a lungul acestui sector se impune in timp o navigatie cu vigilenta deosebita ca urmare a dificultasilor din urmatoarele portiuni :
1. Portiunea din aval de portul Cernavoda; incepand din zona km.297, pana in zona km.295, din urmatoarele motive :
- datorita anrocamentelor de piatra de la ambele limite ale drumului navigabil, latimea apta pentru navigatie se limiteaza la aproximativ 30-40 m in perioada nivelelor mici,
- adancimea in zona pragului (km.296+500 la km.296+200) ramane de aproximativ 280 cm la cota ,,0" Cernavoda. In perioada nivelelor mici nu se executa intalniri sau depasiri in aceasta portiune. In acest scop, navele sau convoaiele care naviga amonte, pot astepta aval de geamandura rosie de la km.293+500, in partea ostrovului Troina, oferind drum la tribord (austec) celor care naviga aval. In conditii de ape medii si mari, se evita intalnirile intre convoaie, de la km.297 pana in zona km.295. Convoaiele care naviga amonte pot astepta aval de km.295, la limita dreapta, oferind drum la tribord celor care naviga aval.
2.Portiunea ,,Fasolele"; incepand din amonte de km.291 pana in zona km.288+500 din urmatoarele motive :
- latimea drumului navigabil ramane de aproximativ 80 - 100 m in functie de variatia nivelului in zona;
- din amonte de km.290 pana in zona km.288+500 se formeaza deriva pronuntata spre partea malului stang ;
- datorita curbei drumului navigabil si a padurii de pe ostrovul Fasolele, nu avem vizibilitate dintr-o parte in cealalta a zonei;
- la pragul Fasolele (292+200 la 291+500) adancimea ramane de aproximativ 250 cm la cota ,,0" Cernavoda .
Datorita dificultatilor se recomanda sa se evite intalnirile sau depasirile si in aceasta portiune.
In situatia in care o nava sau un convoi de nave care naviga amonte, au depasit km.288 si in zona Fasolele s-au inscris nave sau convoaie aval, cel care urca poate astepta amonte de km.288, in partea malului stang, oferind drum la babaord celor care naviga aval.
Zona Boascic, incepand din aval de km.288 panp in zona km.286, unde datorita intinsurilor de la ambele limite, latimea drumului navigabil se reduce la aproximativ 70-90 m., in perioada apelor mici . Pentru aceasta portiune, se recomanda convoaielor care naviga amonte sa astepte aval de km.286, in partea ostrovului Boascicul Mic, oferind drum la tribord celor care naviga aval. Tot in aceasta pozitie, in conditii de nivel de ape medii spre mici se recomanda sa se astepte pentru intregul sector ,,Fasolele - Boascic " .
NAVIGATIA IN SECTOR
Podul ,,Anghel Saligny" - Cernavoda; se afla imediat amonte de km.300, avand o singura deschidere autorizata pentru navigatia in ambele sensuri, cea din partea malului stang, cu urmatoarele gabarite:
- inaltimea libera de trecere 24,99 m, fata de cel mai inalt nivel navigabil care este de 6,04 m. fata de cota ,,0" Cernavoda;
- latimea deschiderii 155 m .
Gabaritele podului nou, constructie imediat amonte, sunt proiectate sa corespunda cu gabaritele podului vechi.
Podul are o singura deschidere semnalizata pentru ambele sensuri de navigatie. Vom acorda prioritate de trecere sensului aval. Cei care naviga amonte pot astepta (daca este cazul), in zona km.299, in partea malului stang, oferind drum la babord celor care naviga aval. La Dunare, inainte de intrare pe canalul Dunare - Marea Neagra in zona digului amonte de intrare pe canal, datorita caracteristicilor cursului, mai ales in perioada apelor mici, se formeaza prag, care determina reducerea gabaritului de latime pentru intrare - iesire canal Dunare - Marea Neagra. Din acest motiv, mai ales in conditii de ape medii si mici, intrarea - iesirea canal Dunare - Marea Neagra se va executa cu partea malului stang al canalului (cu partea cheului aval de la intrare) .
Intalnirile in sector:
- De la km.284 se urmareste partea malului stang si in continuare partea ostrovului Boascicul Mare pana la capul ostrovului oferind in aceasta portiune intalnirile prin babord celor care naviga aval.
- In general din amonte de km.291 se urmareste partea ostrovului Fasolele, in continuare coada si malul ostrovului Troina Mare pana la geamndura rosie din zona km.293, acordand intalnire prin tribord (austec) celor care naviga aval (in conditii de ape medii si mari se continua cu intalnire prin tribord, pana in aval de km 295).Din zona km.297 pana in amonte de km.299 intalnirile se executa in general prin bordul babord. Depasind podul Cernavoda, intalnirile se pot executa prin babord pana in aval de geamandura verde de la km.301+800. Din aval de aceasta geamandura se traverseaza spre coada ostrovului Hinog si in continuare se acorda drum la tribord (austec), celor care naviga aval.
REGULI SPECIALE DE NAVIGATIE LA TRECEREA PE SUB PODURILE DE
LA CERNAVODA (km.300 si km. 300+070)
NAVIGATIA PE SUB PODURI
1.-Navigatia pe Dunare in zona podurilor la Cernavoda se desfasoara prin deschiderile centrale ale podurilor, in sens unic alternativ, respectandu-se cu strictete semnalizarea podurilor si a senalului navigabil in zona.Este interzisa incrucisarea, depasirea si navigatia la aceeasi inaltime intre km.299+100 si km.301+900. Prioritatea de trecere o au navele care naviga dinspre amonte spre aval.

Pe timp de ceata sau noapte cu vizibilitate redusa se interzice trecerea pe sub poduri a navelor si convoaielor care nu au la bord radar in stare buna de functionare.In caz de vant puternic sau furtuna se interzice orice trecere pe sub poduri.
2.-Gabaritul senalului navigabil prin deschiderile centrale ale podurilor este
-latimea maxima 155 m.:
-inaltimea libera de trecere 24,99 m. fata de cel mai inalt nivel navigabil care este de 6,04 m. fata de "0" mira Cernavoda.
DIMENSIUNILE MAXIME ALE CONVOAIELOR
1.-Pentru nivelul de apa situat peste cota +150 cm. Cernavoda:
-convoaiele remorcate sau impinse care naviga spre amonte vor fi formate din trei dane a trei unitati in dana, cu dimensiunile maxime de 300 m. lungime si 35 m. latime:
-in sensul aval, convoaiele pot naviga si in formatii de doua dane a patru unitati in dana, cu dimensiunile maxime de 220 m. lungime si 46 m. latime.
2.-Pentru nivelurile situate intre cota +150 cm. si 0,0 cm. Cernavoda:
-convoaiele, atat pentru navigatia amonte cat si pentru navigatia aval, vor avea in formatii 6 unitati, cate 3 unitati in 2 dane. Lungimea convoiului va fi maximum 220 m., iar latimea de 33 m.
3.- Pentru nivelurile situate sub cota 0,0 cm. Cernavoda :
- convoaiele, atat pentru navigatia amonte cat si pentru navigatia aval, vor avea in formatii 4 unitati, cate 2 unitati in 2 dane. Lungimea convoiului va fi maximum 220 m., iar latimea de 23 m.
EXIGENTELE TEHNICO-NAUTICE ALE CONVOAIELOR
1.-Convoaie remorcate:
-la trecerea pe sub pod, remorcherele trebuie sa-si reduca remorca la cel mult 45 m., pentru navigatia in amonte si cel mult 25 m., pentru navigatia in aval, iar legaturile intre dane sa fie de cel mult 15 m.
2.- Convoiul impins trebuie sa aiba o buna manevrabilitate la mars inainte, inapoi si lateral:
-pe drum inainte puterea impingatorului trebuie sa asigure tinerea la cap a convoiului pe drumul de urmat:
-pe drum inapoi convoiul trebuie sa aiba manevrabilitate sigura de a putea lua directia voita si a se mentine pe drum pana la oprire;
-impingatorul trebuie sa aiba capacitatea de a asigura deplasarea laterala a convoiului la trecerea pe sub pod atunci cand exista pericolul de coliziune cu pilele podurilor;
-puterea remorcherelor sau impingatoarelor trebuie sa asigure o viteza minima de siguranta a convoiului de cel putin 12 km./h. in apa linistita si mentinerea convoiului pe senalul balizat la trecerea pe sub pod.
LOCURI DE OPRIRE SI CONDITII DE MANEVRA
Conducatorii de convoaie isi pot organiza formatiile cu un numar mai mic sau mai mare de unitati in limitele dimensiunilor maxime admise in functie de puterea remorcherului sau impingatorului astfel incat convoaiele sa nu depaseasca 6 tone marfa/CP si respectiv 8 tone capacitate /CP.In situatiile in care remorcherele sau impingatoarele nu asigura conditiile stabilite mai sus, convoaiele se vor opri in vederea modificarii formatiilor, pentru a naviga in siguranta la trecerea pe sub poduri.
Locurile de oprire sunt urmatoarele:
- pe Dunare in aval de km.296 si respectiv amonte la km.303.
Pentru respectarea exigentelor la oprire prin rondou convoaiele vor avea dimensiunile formatiei astfel incat sa se incadreze in gabaritele senalului navigabil la locurile stabilite.
CAPITOLUL 5
ANALIZA HIDROLOGICA
Prin caracteristicile vaii, ale albiei si ale regimului apelor, Dunarea de Jos este un curs de apa cu pronuntat caracter de apa de campie. Valea Dunarii este aici larga. Pana la Turnu Magurele, latimea predominanta a vaii Dunarii este de pana 10 km, iar mai in aval, pana la Delta latimea este cuprinsa intre 8 si 20 km. Cea mai mare latime a vaii Dunarii este intalnita in aval de Harsova, km.253 si anume de 28 km, iar cea mai mica latime se inregistreaza la Svistov (555), la Giurgiu (493) si Orlovka (105,3) anume 4 km. Albia fluviului este putin sinuoasa si formeaza coturi usoare si rectilinii pe sectoare considerabile ca lungime. Pe parcursul ei, albia fluviului se ramifica de nenumarate ori in brate secundare, urmand multe ostroave, multe din aceste brate intalnindu-se intre Silistra si Braila si in zonele de varsare ale bratelor Chilia si Sfantul Gheorghe, aceste brate secundare curgatoare. Albia Dunarii de Jos nu este regularizata, pe portiunile unde se largeste este abundenta in ostroave, bancuri de nisip si praguri. Latimea albiei este foarte instabila, ea variind intre limite foarte mari, ca urmare a ramificarii. Latimea medie tipica a albiei pe diferite sectoare are urmatoarele valori:
Turnu Severin - Calafat (931-795) = 800 m
Calafat - Svistov (795 - 555) = 800 m
Svitov - Silistra (555 - 376) = 800 m
Silistra - Harsova (376 - 253) = 560 m
Harsova - Braila (253 - 170) = 400 m
Braila - Ceatal Izmail (170 - 79,63) = 350 m
Bratul Tulcea (79,63 - 62,97) = 350 m
Bratul Sulina ( 62,97 - 0) = 120 m
la intrarea dinspre mare pe Canalul Sulina (Mm 0-7) = 185 m
Pe o mare lungime a Dunarii de Jos, adancimile albiei sunt supuse unor mari modificari, ca urmare a instabilitatii albiei, mai ales la praguri si la bara Sulina. Adancimile senalului fata de nivelul minim de navigatie si regularizare ( ENR), pe diferite sectoare, in 2005, au fost urmatoarele:
Drobeta Tr.Severin - Silistra (931 - 376) = 2,15 m (Corabia + 152 cm)
Silistra - Braila ( 376 - 170 ) = 2,5 m (mira Calarasi + 118 cm)
Braila - Sulina (170 - 0) si bara Sulina = 6,7 - 7,3 m
Fundul albiei pe Dunarea de Jos este nisipos iar la varsare este malos. Sunt si sectoare unde fundul albiei este stancos sau din pietris, acestea intalnindu-se la Drobeta Turnu Severin si Harsova.
DESCRIEREA VAII, A ALBIEI MAJORE SI A MATCII
La Tr.Sevrin, Dunarea iese din Defileul Portile de Fier si intra in Campia Dunarii de Jos. Malul drept al vaii Dunarii este aici deluros in mai mare masura decat malul stang pe alocuri delurile se precipita abrupt spre fluviu. La gurile afluentilor de pe acest sector, inaltimile se departeaza de fluviu lasand loc luncii inundabile. Malul stang al Dunarii de Jos este in panta usoara si formeaza o lunca inundabila lata. Sectoarele cu cele mai mari inaltimi de-a lungul malului stang al Dunarii de Jos sunt situate intre Basarab (801) si Calafat (795), unde albia majora se ingusteaza. Albia minora (matca) are latimi cuprinse intre 450 si 1200 m la km 827 si este la inceput sinuoasa, cu coturi bruste la Harsova (km. 916,3) in aval de Corbu (km.911) si la Barza Palanka (km.883), dupa care, in apropiere de Calafat, devine relativ rectilinie. In majoritatea cazurilor, bratele secundare sunt curgatoare, dar de o lungime nesemnificativa. Cele mai mari brate secundare sunt cele de la malul stang, Dunarea Mica dintre km.916-910,9 si bratul Gogosu (km.876-861). Din aval de Calafat pana la Svistov (km.555), valea Dunarii devine considerabil mai larga, cursul apei urmand pe langa inaltimile de la malul drept, intretaiate de rape si valcele. In zonele de varsare ale afluentilor formatiile deluroase sunt indepartate de fluviu, cedand locul luncii inundabile, cum este cazul cu sectoarele Arcear - Orsoia (km.769 - 754), Tibrita (km.754-713), Cozlodui (km.704-684), Ostrovskaya (km.673-660), Corabia (km.642- 609), Osim (km.601-600) si Nicopol-Belene (km.592-554). Formatiile deluroase sunt indepartate de malul stang pana la Corabia (630), locul lor fiind luat de o lunca inundabila extinsa, care abunda in lacuri si care, in perioada apelor mari este acoperita de ape pe suprafete extinse. De la Corabia la Izlaz (km.607), malul stang este din nou deluros, ceea ce face ca lunca inundabila sa se ingusteze brusc. Pana la localitatea Arcer (km.771), cursul fluviului formeaza un cot larg pe directia sud-est, dupa care, pana la Svistov (555), cursul Dunarii urmeaza pe directia est. Albia, cu latimi intre 800 m (km748) si 1600 (km764) este relativ rectilinie si se ramifica in multe brate secundare nesemnificative ca lungime, ducand la formarea de ostroave, mai ales la malul stang. In perioada apelor mici, bratele secundare seaca in majoritatea cazurilor, iar ostroavele devin prelungiri ale malurilor. In Dunarea de Jos conflueaza multi afluenti, neinsemnati ca lungime si aport de apa si deci fara influenta asupra regimului hidrologic al Dunarii. Dintre acesti afluensi fac parte: Timok (km.845), Lom (km.740,8), Tibrita (km.717), Ogosta (km.686), Iscar (km.636), Vit (km.609), Osim (km.600), Iantra (km.537), Lom -Ruse (km.498) - dinspre dreapta. Afluentii de stanga sunt: Jiul (km.693), Olt (km.604), Arges (km.432), Ialomita (km.251), Siret (km.155) si Prut (Mm. 72). In zona Svistov (km.555), valea Dunarii de Jos se ingusteaza, pentru ca de aici pana la Silistra (km.375,5) valea Dunarii de Jos sa se largeasca din nou, fiind strajuita de inaltimile de pe malul drept si pastrandu-si directia nord-estica. Pe alocuri, inaltimile de pe malul drept se indeparteaza, lasand locul luncilor inundabile. Astfel de lunci inundabile sunt in zonele:
- Vardim - Novgorod si Batin (544 - 517),
- Marten (490-477),
- Bresleanu (457-436),
- Popina (409-397),
- Aidemir (394-377).
Inaltimile de la malul stang au pante usoare si sunt relativ indepartate de cursul Dunarii, cu exceptia zonei scurte dintre km.497 si km.483 (zona Giurgiu), unde formatiunile deluroase de teren sunt mai aproape de Dunare. Lunca inundabila de la malul stang are o latime considerabila si abunda in lacuri si brate (canale). Albia minora fluviului are aici latimi cuprinse intre 600 m. la km. 376 si 1300 m. la km. 423, este putin sinuoasa si are multe brate secundare, in majoritatea curgatoare. Cele mai importante brate sunt:
- bratul dintre km. 530 si km. 521 mal drept,
- bratul dintre km. 512 si km. 504 mal stang,
- bratul dintre km. 470 si km. 404 mal stang,
- bratul dintre km. 428 si km. 423 mal drept,
- bratul dintre km. 412 si km. 398 mal stang.
Intre Silistra (km.375,5) si Harsova (km.253), Dunarea e insotita la malul drept de formatii deluroase abrupte in cea mai mare parte. Intre Silistra si Oltina valea Dunarii e ingustata de inaltimile de la malul stang. In aval de Oltina, inaltarile de teren sunt mai indepartate de cursul Dunarii, ceea ce face ca valea fluviului sa atinga aici inaltimi considerabile, lunca inundabila abundand in lacuri si brate secundare. In perioada apelor mari, lunca inundabila e acoperita de apa in proportii mari, avand aspectul unui lac intins. Pana la Cernavoda (km.300), Dunarea de Jos curge pe directia nord-est dupa care ia directia nord. Albia, cu latimi intre 300 m. (la km. 343) si 850 m. (km.293) este putin sinuoasa, are coturi line si este puternic divizata in brate secundare, din care cel mai reprezentativ este Bratul Borcea (km.370,5 - 248). Bratul Borcea, cu o lungime de 100 km, se desparte de Dunare inspre stanga, aval de Silistra la km 370,4 si conflueaza din nou cu Dunarea la km.248. Bratul Borcea este sinous si delimitat la stanga de formatii deluroase, in zona carora curentul apei este cel mai puternic. Bratul Bala deviaza din albia principala inspre stanga, la km.345 si se varsa in Bratul Borcea la km 68. Numaratoarea kilometrilor pe acest brat se face tot de la varsare spre izvor. Exista multe alte brate secundare curgatoare, dar neinsemnate si indepartate de albia principala, formand un mare numar de ostroave. Astfel de brate sunt:
- bratul Ostrov (km 374-km355) mal drept,
- bratul Oltina (338 - 335) mal drept,
- bratul Fermecatul (332 - 318) mal stang,
5.1 REGIMUL PRAGURILOR
REGIMUL PRAGURILOR PE DUNARE
Pe toate
sectoarele Dunarii se intalnesc praguri si bancuri la care adancimile
senalului scad considerabil la cote mici ale apelor ceea ce creeaza
mari dificultati pentru navigatie. La praguri se
executa importante lucrari
anuale de dragaj si de regularizare. Lucrarile de regularizare
efectuate pana in prezent asigura o adancime minima a
senalului de la Vilshofen la Braila fata de nivelul minim
de navigatie si regularizare (ENR) de 200. Pe toate sectoarele Dunarii
se intalnesc praguri si bancuri la care adancimile senalului scad
considerabil la cote mici ale apelor ajungand si sub
Masuri ce se iau in astfel de situatii:
-ancorarea convoiului in aval sau amonte de prag, in functie de sensul in care se naviga;
-efectuarea de sondaje cu ajutorul navei propulsate din convoi (impingator sau remorcher), sau cu ajutorul barcii de serviciu;
-balizarea senalului relevat in urma masuratorilor;
-descompunerea convoiului pentru respectarea noului gabarit,
-trecerea succesiva a navelor din convoi prin zona pragului,
-refacerea convoiului si continuarea voiajului.
In timpul cotelor scazute ale Dunarii la praguri se acumuleaza un numar destul de mare de convoaie pentru trecere. In aceasta situatie comandantii convoaielor organizeaza balizarea si manevrele de asa natura incat trecerea prin pragurile foarte mici sa se execute prin impingerea si tractarea la remorca a unitatilor cu pescaj mai mare pentru evitarea impotmolirii acestora in mameloanele care pot sa se formeze in senal.
5.2 PANTA DE CURGERE
Specificul navigatiei fluviale este acela ca navele sau convoaiele se deplaseaza in permanenta in conditii de curent. Pentru a aprofunda mai bine ce insemna existenta acestor conditionari vom analiza miscarea apei prin albiile apelor curgatoare si vom trage concluzii asupra fiecarui aspect prin prisma deplasarii navelor fluviale in aceste conditii.


Mecanismul miscarii apei prin albii
Miscarea apei prin albie are loc sub actiunea gravitatiei, in conditiile existentei unei pante. Lipsa pantei cauzeaza lipsa scurgerii sau oprirea ei cand panta devine nula. Curgerea prin albie sau pe panta unui versant (apa de siroire) este cu atat mai rapida, cu cat panta este mai mare, si deci componenta greutatii proprii apei, pe directia pantei este mai mare.Miscarea (curgerea) apei prin albie nu depinde numai de marimea pantei, ci si de calitatea patului albiei. Albia alcatuita dintr-un material cu granulometrie fina usureaza curgerea iar cea alcatuita dintr-un material grosier o franeaza. Asperitatila albiei constituie ceea ce in hidraulica si in hidrologie se numeste rugozitatea albiei. Cu cat rugozitatea este mai mare, cu atat viteza apei va fi mai mica, evident, in conditiile acelorasi valori de panta.Asadar, panta si rugozitatea albiei au efecte contrare asupra vitezei apei in curgerea sa prin albie.Pentru navigatie viteza mare de curgere insemna dificultati de ordin tehnic si economic. Dificultatile de ordin tehnic sunt:
- reducerea vitezei de deplasare a convoaielor la mars in amonte;
- reducerea capacitatii de guvernare a convoielor la mars in aval;
- guvernare dificila in zone cu rugozitate pronuntata datorita aparitiei anafoarelor, contracurentilor;
- inscrierea cu dificultate in drumul navigabil datorita derivei pronuntate atat pentru aval (cadere) cat si pentru amonte (pendulare).
Dificultatile de ordin economic sunt:
- necesitatea cresterii puterii de propulsie, si implicit a consumului specific de carburanti, pentru aceeasi cantitate de marfa transportata;
- cresterea timpilor de navigatie pe distante egale.
In sectorul analizat panta de curgere
variaza intre
SINUOZITATE
Portiunea cuprinsa intre km.520 - km.300 are in linie dreapta o distanta de 180 km, distanta reala pe Dunare fiind de 220 km. Avem un coeficient de sinuozitate de 0,8%. In aceasta zona avem si raze de curbura mari, indicele de sinuozitate fiind aproape egal cu 180 km. Sinuozitatea caii este caracteristica cursurilor naturale si canalelor obligate sa urmareasca anumite forme de teren si are drept consecinta prelungirea nedorita a duratei de transport .

5.3 FACTORI CLIMATICI
Localizarea geografica a
bazinului Dunarii ( M-tii. : Alpi, Carpati, Balcani , Marea Campie Panonica ,
distanta relative mica pana la marea
Mediterana ) are contributie esentiala la conditiile climatice. Cele mai influente componente climatice ,
sunt indiscutabil gheata , vantul si ceata . Perioada de iarna , in care
navigatia este inchisa datorita ghetii ,
este relative de scurta durata , sau inexistenta exceptand iernile grele . In
bazinul Dunarii predomina vanturile cu viteze mici. Cele mai intalnite fiind
calmul sau briza,in sectorul superior in proportie de 40-50% /an iar in
sectoarele mijlociu si inferior in proportie de 75%/an. In cazuri exceptioale vanturi puternice cu viteze de
peste
Praguri
Reguli speciale in zona constructiilor hidrotehnice (epiuri,poduri,baraje)Gabaritele convoiului raportate la gabaritele senalului navigabil: Gabaritele caii navigabile, dupa cum am aratat, este cel mai important element care genereaza dificultate pentru navigatie. Acesta trebuie corelat cu gabaritele navei sau convoiului. Formulele prezentate arata un model de calcul preliminar al acestor corelari convoi-senal. In practica, problema trebuie rezolvata direct, astfel pentru navigatia intr-o zona cu fund tare si in care nu se fac depuneri aluvionare, avand deci un caracter stabil din punct de vedere al adancimilor, rezerva pilotului este de aproximativ 20 cm. Pentru navigatia intr-o zona cu fund nisipos sau malos, caracterizat prin instabilitate si depuneri masive (formare frecventa de intinsuri si mameloane), rezerva pilotului se ia de minimum 30 cm, fata de adancimea actualizata la cota zilei. Latimea senalului navigabil in cazul convoiului conventional ales se deduce din insumarea a doua latimi de convoi, la care se adauga o marja de siguranta de 5 metri intre convoaie si cate 5 metri in bordurile exterioare intalnirii masurati pana la limita stanga, respectiv dreapta adrumului navigabil. Rezulta astfel o latime minima de drum navigabil de 95 - 100 metri. Aceasta latime este considerata suficienta pentru zonele de senal rectilinii.Gabaritul de aer este inaltimea maxim admisibila de trecere pe sub pod sau alta constructie peste calea navigabila. Acest gabarit este determinat in functie de cota zilei si valorile date in hartile de navigatie sau albumul podurilor. In mod uzual, fata de nivelul cel mai de jos al constructiei se ia o rezerva pilot de 20 cm., iar in caz de valuri o rezerva de pana la 50 cm. Deoarece problemele de gabarite de trecere vizeaza indeosebi trecerile la poduri, tratam cateva generalitati despre acestea. Podurile sunt constructii hidrotehnice care traverseaza o apa curgatoare in scopul continuarii unei cai de comunicatie terestra. Partile principale ale podului sunt:
-Suprastructura podului care este partea ce sustine calea de comunicatie (sosea, cale ferata).
-Infrastructura podului este partea ce sustine suprastructura, formata din pilele podului avand fundatia executata in albia fluviului, care determina gabaritele de latime.
-Deschiderea podului reprezinta spatiul dintre doua pile de pod consecutive aflate la apa. Din punct de vedere al navigatiei deosebim:
-deschideri autorizate pentru navigatie intr-un singur sens, semnalizate in conformitate cu Regulamentul de Navigatie pe Dunare (in continuare R.N.D.), semnale A10, C2, D1b. si D2;
-deschideri autorizate pentru navigatie in ambele sensuri, semnalizate in conformitate cu R.N.D. prin semnalele C2, D1a si D2;
-deschideri interzise pentru navigatie, semnalizate in conformitate cu R.N.D. prin semnale A1.
-Din punctul de vedere al gabaritului de aer, podurile pot fi clasificate in :
-poduri mobile, care au posibilitatea de a se rabate sau glisa pentru a permite trecerea navelor, inaltimea libera de trecere nefiind astfel limitata;
-poduri cu travee mobila, care permit marirea gabaritului aerian de trecere prin rabaterea sau glisarea unei singure travee, marindu-se astfel gabaritul de trecere la una din deschideri;
-poduri cu suprastructura fixa, inaltimea libera de trecere neputand fi modificata.
b.).Directia curentilor (contrari, purtatori, travers, neregulati, anafoare, contracurenti). In navigatia pe fluviu navele se deplaseaza in permanenta in curent. Corelat cu miscarea navelor sau convoaielor curentii pot fi :
-purtatori, a caror directie este aceeasi cu cea a deplasarii convoiului;
-contrari, a caror directie este opusa deplasarii convoiului,
-de travers, a caror directie este perpendiculara directiei de deplasare a convoiului,
-neregulati, a caror directie de deplasare variaza intr-un spatiu de deplasare scurt al convoiului,
-anafoare, curenti puternici, neregulati, care au influenta asupra capacitatii de mentinere a drumului de catre convoi.
Curentii purtatori sunt curentii din pupa. Acestia se manifesta in cazul navigatiei in aval prin scaderea capacitatii de guvernare datorita scaderii presiunii pe safranele carmelor si datorita unui efect marit de deriva care se aplica asupra operei vii a navei sau a convoiului. In acest caz viteza de deplasare a navei sau convoiului creste, vectorul viteza convoi insumandu-se cu vectorul viteza curent. Curentii de acest gen care actioneaza intr-un unghi oarecare cu axul longitudinal al convoiului, cu orientare in sectorul pupa produc o deriva cu efect puternic asupra convoiului. In aceasta situatie inscrierea cu viteza in curbe poate determina producerea de avarii datorita faptului ca desi se actioneaza pentru schimbarea sensului de deplasare si iesirea din curba (in termenii din practica "valada") fortele care se insumeaza dau o rezultanta aproximativ pe directia drumului avut anterior manevrarii carelor. Acestea sunt forta de inertie, forta de presiune a curentului care se apropie ca orientare de travers producand astfel deriva marita si forta de propulsie.Curentii contrari sunt curentii de prova. Acestia se manifesta in cazul navigatiei in amonte prin reducerea vitezei de deplasare datorita cresterii presiunii pe suprafata operei vii si scaderii vectorului viteza curent din vectorul viteza convoi. In acelasi timp presiunea pe safranele carmelor creste prin insumarea presiunilor formate de elice cu cea a curentului, avem deci o guvernare mai buna. In cazul navigatiei in amonte, atunci cand convoiul penduleaza de o parte sau de alta a directiei curentului acesta va forma presiuni pe suprafata laterala a operei vii a convoiului. Fortele de presiune astfel formate vor avea efectul de franare in crestere, va creste si efectul de deriva asupra convoiului. Acest efect se produce si in cazul navigatiei in sens amonte printr-o curba sau in momentul iesirii dupa un cot pronuntat sau un colt (convoiul ia "mascada" se spune in limbajul uzual). In asemenea cazuri pentru evitarea "pendularilor" in senal, care pot deveni periculoase la un moment dat, convoiul va fi orientat in asa fel incat in permanenta unghiul format intre vectorul viteza al convoiului si vectorul viteza al curentului sa fie cat mai mic posibil. Curentii de travers sunt curentii care produc cea mai mare deriva a convoiului indiferent de sensul de navigatie. Este recomandabil evitarea navigatiei in situatii de curenti de travers, deoareca controlul asupra guvernarii convoiului este foarte scazut. Cu asemenea situatii ne confruntam in cazul intrarii/iesirii dintr-un bazin portuar, in timpul rondoului sau in cazul inscrierii incorecte intr-o curba. Evitarea efectului de deriva a curentului de travers se face prin manevrarea rapida cu prova in curent, folosirea in cuplu a motoarelor sau proceduri combinate cu marirea vitezei de deplasare pentru iesirea cat mai repede posibil din situatia de curent de travers.Curentii neregulati sunt acei curenti care iti schimba directia si sensul de curgere in spatii relativ scurte. Spatiile devin comparabile cu lungimea convoiului, astfel incat daca in zona pupa curentul produce un efect, in zona prova acesta produce efectul contrar sau un efect diferit de primul. In aceasta situatie putem ajunge ca solicitarile asupra convoiului sa se materializeze in solicitari ale legaturilor convoiului. Apare pericolul ruperii acestor legaturi in cazul in care convoiul nu a fost legat rigid si cu suficiente parame metalice de cuplare. Efectele inverse prova-pupa pot fi reduse prin contrarea lor in urma punerii carmelor in sensul invers efectului curentilor in timp util, astfel incat efectul de guvernare format sa previna efectul curentilor. Acest lucru presupune o cunoastere temeinica a zonei de navigatie deoarece se impune o dirijare preventiva pentru diminuarea eventual eliminarea efectului curentului.Anafoarele sunt curenti puternici si neregulati, care au influenta asupra capacitatii de mentinere a drumului de catre convoi si care se formeaza in zonele cu funduri stancoase sau cu obstacole subacvatice - epave, constructii inundate, zone cu eroziune pronuntata, etc. Curentii astfel formati sunt turbulenti, urmarind toate directiile de curgere inclusiv de la fundul albiei catre suprafata. In asemenea sectoare trecera se desfasoara cu dificultate. Este recomandabil sa se navige cu viteza sporita si cu instalatia de guvernare cuplata pe actionare dubla pentru ca viteza de reactie a guvernarii sa diminueze efectul anaforului. Naviagatia in asemenea sectoare presupune o cunoastere amanuntita a sectorului deoarece se impune o dirijare foarte atenta si eliminarea efectelor nedorite ale anafoarelor in timp util. Contracurentii sunt curenti slabi care apar in curbele pronuntate si dupa colturi. Acesti curenti pot determina intrarea convoaielor "in umbra malului" atunci cand acestea se afla in naviagatie amonte, putand duce la intrarea in mal a acestora.
Curbele drumului navigabil (raze de curbura)
Curbele drumului navigabil sunt sectoare care produc in anumite situatii de dificultate pentru navigatie. Astfel de situatii sunt:
-lipsa vizibilitatii dintr-o parte in alta a zonei de curbura,
-raza de curbura mica,
-curent puternic combinat in anumite situatii cu anafoare.
Caracteristicile curbelor de pe Dunare sunt date in "Albumul curbelor Dunarii", document nautic care va fi prezentat intr-un capitol ulterior.Pentru evitarea intalnirii accidentale intr-un cot cu raza de curbura mica se uziteaza traficul radiotelefonic in frecventele canalelor de navigatie, banda de 156 Mhz. Navigatia in sensurile amonte si aval prin curbe trebuie sa urmaresca elementele de inscriere si orientare descrise mai sus.
Distanta maxima de vizibilitate (in conditii normale)
Distanta maxima de vizibilitate in conditii normale de vizibilitate este un element care poate determina dificultate in cazul navigatiei in sectoare cu maluri inalte (zone muntoase), la poduri si baraje, unde se pot observa din timp navele sau convoaiele care naviga din sens contrar. Pentru evitarea intalnirii accidentale intr-o zona limitata in gabaritul admis sau o zona de curent puternic, se uziteaza traficul radiotelefonic in frecventele canalelor de navigatie. Navigatia in sensurile amonte si aval se poate desfasura succesiv convoaiele pregatindu-se pentru intalnire conform regulilor zonei si intelegerilor prin radiotelefon.Regulile emise de Comisia Dunarii arata ca distanta minima de vizibilitate admisa pentru navigatia in siguranta este de pana la 1000 de metri. In cazul in care scade sub aceasta valoare, datorita fenomenelor meteorologice, vor fi emise avize de pericol catre navele aflate in sectorul respectiv.
Praguri
In zonele cu praguri navigatia este ingreunata datorita nivelului scazut al apelor si al reducerii gabaritelor de adancime si latime la nivele inferioare celor minime.
Masuri ce se iau in astfel de situatii:
-ancorarea convoiului in aval sau amonte de prag, in functie de sensul in care se naviga;
-efectuarea de sondaje cu ajutorul navei propulsate din convoi (impingator sau remorcher), sau cu ajutorul barcii de serviciu;
-balizarea senalului relevat in urma masuratorilor;
-descompunerea convoiului pentru respectarea noului gabarit,
-trecerea succesiva a navelor din convoi prin zona pragului,
-refacerea convoiului si continuarea voiajului.
In timpul cotelor scazute ale Dunarii la praguri se acumuleaza un numar destul de mare de convoaie pentru trecere. In aceasta situatie comandantii convoaielor organizeaza balizarea si manevrele de asa natura incat trecerea prin pragurile foarte mici sa se execute prin impingerea si tractarea la remorca a unitatilor cu pescaj mai mare pentru evitarea impotmolirii acestora in mameloanele care pot sa se formeze in senal. In sectorul cuprins intre km.520 - km.3 00 a carui sinuozitate este de aproape 1% exista si zone cu raza mica de curbura datorate nu sinuozitatii albiei ci sinuozitatii senalului. In formulele pentru analiza gabaritului am folosit urmatoarele notatii:
R = raza de curbura
Bga = latimea gabaritului de apa
/B'g = supralargire pentru cele cu doua culoare de navigatie
/B"g = 2 / B'g , supralargire pentru cele 2 culoare de navigatie
/B" = este supralargire reala + Ki
Ki = coeficient inertial de majorare
Lnc = lungime nava ( convoi) de calcul
Bnc = latime nava (convoi ) de calcul
ANALIZA GABARITE KM.461-KM.467
Sondaj efectuat la data de 31.10.2005
Cota Portului Giurgiu
Cota: 108 + 2 cm.
Latimea senalului 140 m.
Pentru latimea de 140 m a senalului nu se pot efectua intalniri intre doua convoaie deoarece:
2 x (33 + 19,95) + 6,6 + 2 x 6,6 = 125,7 m
Pentru cota 0 Giurgiu la data de 31.10.2005, trecerea de la km. flv. 462 - 465 - sector cu evitarea intalnirilor si depasirilor.
Latimea senalului la Km. Flv. 463 fiind zona critica pentru navigatie la cote mici.

ANALIZA GABARITE KM.422-KM.426
Sondaj efectuat la data de 31.10.2005
Cot Port Oltenita
Cota: 148 + 2.
Latimea minima a senalului 160 m.
R. = 870 m
B = 150 m.
In conditiile de curba cu inflexitatea axului senalului pe o lungime < 1000m.
Pentru convoiul nominal avem:
Rni > L - CONDITIE NESATISFACUTA
Latimea calculata pentru intalnire la R = 870 m.
Supralargirea se calculeaza;
2 x 0,35 x L2nc/R = 0,7 x 2852/870 = 71,07 m.
Gabaritul latimii intalnite se calculeaza:
2 x 52,95 + 3 x 6,6/19,8 + 71,07 = 196,77 m adancime minima cu latimea senalului de 170 m., in conditii de vizibilitate foarte buna si fara vant.
In acest sector nu sant indeplinite conditiile pentru efectuarea navigatiei pe doua culoare, sectorul nefiind semnalizat corespunzator, se recomanda a nu se efectua intalniri si depasiri intre convoaie.

ANALIZA GABARITE KM.398-KM401
Sondaj efectuat la data de 31.10.2005
Cote Port Calarasi
Cota: 127 - 3.
Latimea minima: 160 m, la Km. Flv. 820,5
Adancimea minima : 240 cm, la km. flv. 400,200.
R = 760 m.
B = 160 m
Caracteristicile convoiului:
L= 285 m,
B= 33 m,
d= 2,5 m,
H= 9,10 m,
Ji = 2 L mc x 0,035 = 0,07 x L mc
Ji = Je = 0,2 x Bnc = 6,6 m.
Rmin > 3 x 285 = 855 nu este corespunzator supralargiri = 2 x 0,35 x 2852/ 760 = 37,905 m.
Bgc = 33 + 11,15 = 44,15.
In acest sector sant interzise intalnirile si depasirile intre convoaie, latimea senalului nefiind corespunzatoare ca latime.

CAPITOLUL 7
ANALIZA SEMNALIZARII PE SECTORUL CUPRINS INTRE
KM.520 - KM.300
TEHNICA SEMNALIZARII PENTRU NAVIGATIE PE CAILE NAVIGABILE
INTERIOARE
Pentru a naviga in conditii de siguranta deplina, este nevoie si de amplasarea judicioasa a semnalelor de navigatie. Acestea confera posibilitati de orientare cu atat mai bune ca cat sunt mai corect si complet amplasate. Corectitudinea isi are izvorul in aplicarea exacta a regulilor de marcare a limitelor stanga si dreapta a senalului navigabil precum si a axului senalului. Semnalizare completa inseamna o amplasare continua a semnalelor pe intreg sectorul de navigatie, fara pauze mai mari decat cele normate, care sa permita navigatia din semnal in semnal atat la vedere cat si pe radar, adica atat noaptea si ziua cat si in conditii de vizibilitate redusa. Pentru a intelege cum se realizeaza o asemenea semnalizare este necesar sa cunoastem definitiile balizajului plutitor si de coasta si regulile referitoare la distantelede vizibilitate in conditii normale si prin aparatura radar.Definitii ale semnalelor plutitoare si de coasta care balizeaza senalul si pericolele de nabvigatie.
A.1. Geamanduri, luminoase si neluminoase scondri si jaloane pentru dreapta marcheaza limitele senalului si directia sa; ele balizeaza partea dreapta a senalului si pericolele de la malul drept.

Geamandura Scondru Jalon
A.2. Geamanduri, luminoase si neluminoase, scondri si jaloane pentru stanga marcheaza limitele senalului si directia sa, ele balizeaza partea stanga a senalului si pericolele de la malul stang.

Geamandura Scondru Jalon
A.3. Geamanduri luminoase si neluminoase, scondri si jaloane de jonctiune si de bifurcatie semnaleaza jonctiunea si bifurcatia senalului si in afara de aceasta balizeaza pericolele de navigatie situate in senal. Navele care naviga in aval si in amonte pot lasa aceste semnale fie la babord, fie la tribord.

Geamandura Scondru Jalon
A.4. Geamanduri luminoase si neluminoase si scondri care indica axa senalului. Pe o intindere de apa larga lipsita de pericole de navigatie, ele pot marca axa senalului.
A.5. Geamandurile luminoase pentru dreapta care marcheaza locul de stationare fata de partea dreapta a senalului.
A.6. Geamandurile luminoase pentru stanga care marcheaza locurile de stationare fata de partea stanga a senalului.

B - BALIZAJ DE COASTA
B.1. Lumina de coasta (far) de pe maluldrept arata aproximativ directia senalului in raport cu malul; cu semnalele plutitoare, ea balizeaza senalul acolo unde acesta se apropie de malul drept si serveste in acelasi timp ca punct de reper.
B.2 Lumina de coasta (far) de pe malul stang arata aproximativ directia senalului in raport cu malul; cu semnalele plutitoare ea balizeaza senalul acolo unde acesta se apropie de malul stang si serveste in acelasi timp ca punct de reper.

B.3. Semnalul de traversare de la malul drept (simplu si dublu) indica inceputul si sfarsitul traversarii senalului de la un mal la altul.
B.4 Semnalul de traversare de la malul stang (simplu si dublu) indica inceputul si sfarsitul traversarii senalului de la un mal la altul.
B5.Aliniament de traversare de la malul drept format din doua panouri galbene tip.B3 unul pozitionat anterior si celalalt posterior.

B6. Aliniament de traversare de la malul stang format din doua panouri galbene tip. B4 unul anterior si celalalt posterior.

C.1 Semnalul de coasta care indica punctele periculoase de la malul stang; este un semnal auxiliar care arata orice lucrare care patrunde in senal (dig, epiu, etc.); el poate servi de asemenea la balizarea punctelor proeminente inundabile in perioada apelor mari.
C.2 Semnalul de coasta care indica punctele periculoase de la malul stang; este un semnal auxiliar care arata orice lucrare care patrunde in senal (dig, epiu, etc.); el poate servi de asemenea la balizarea punctelor proeminente inundabile in perioada apelor mari.

C3. Semale costiere mediane care se instaleaza acolo unde trecerea este posibila pe ambele parti Este format prin imbinarea C1 cu C2:

INTENSITATEA SI DISTANTA DE VIZIBILITATE A LUMINILOR NAVELOR
1. - Luminile navelor, in functie de intensitatea luminoasa, se impart in trei tipuri:
"lumini obisnuite";
-alba 1,6 - 2,5 km;
-rosie/verde 1,7 - 3,2 km;
-galbena 2,3 - 3,0 km;
-albastra 1,0 - 2,3 km
"lumini clare";
-alba 3,9 - 5,3 km;
-rosu/verde 2,8 - 5,0 km;
-galbena 2,9 - 4,6 km
"lumini puternice";
-alba 5,9 - 6,5 km.
2. - Luminile colorate se obtin de obicei, cu ajutorul unei surse de lumina alba si un filtru colorat, sau cu un dispozitiv optic colorat. Sectoarele cromatice stabilite pentru aceste lumini sunt aratate an Anexa nr.4. Filtrul colorat sau dispozitivul optic colorat, sunt filtre selective. Valoarea coeficientului de transmitere a acestor filtre, depinde deci, de compozitia spectrala a radiatiei incidente, care este sursa de lumina. In practica, se aplica urmatorii coeficienti de transmitere pentru filtre luminoase:
- rosu sau verde: = 0,10 la 0,20
- galben: = 0,40 la 0,60
- albastru:
Metode folosite la protejarea senalului prin reflectoare de radiolocatie
Probleme generale
In afara de constructia indicatoarelor plutitoare la standardul minim cerut,pentru a putea fi descoperite cu ajutorul radarului la o distanta eficienta navigatiei ,nu de mica importanta este si faptul ca organele competente din tarile dunarene folosesc aceste indicatoare si pentru protejarea senalului, pe baza unor principii uniforme coroborate cu specificul conditiilor locale. Metodele de protejare cu indicatoare vizuale incluse in recomandarile Comisiei Dunarene nu satisfac pe deplin cerintele de securitate a navigatiei cu ajutorul radiolocatiei. Semnalul aparut pe ecran arata doar locul indicatorului plutitor, dar forma sa si culoarea nu se definesc. Din punct de vedere al vizibilitatii pe ecranul radiolocatorului, indicatorul de protectie, metodele pasive (reflectoarele de colt ) asigura o reflectare satisfacatoare numai a indicatoarelor plutitoare. Amplasarea reflectoarelor pasive de colt nu rezolva problema localizarii indicatoarelor de mal ( de exemplu a indicatorului de defileu ), astfel incat in conditiile de pe Dunare, semnalele generate de reflectoarele de colt se unesc cu cele de pe mal. Astfel de semne care nu sunt plasate pe apa ( de exemplu indicatoarele de mal )sunt descoperite de radiolocator numai prin intermediul indicatoarelor plutitoare, cu exceptia reflectoarelor de colt plasate la pilonii podurilor, care se disting bine pe ecran. Descoperirea eficienta a indicatoarelor de mal se poate realiza doar prin folosirea reflectoarelor active. Ele se pot plasa in mod sigur pe orice fond topografic, dar presupun o constructie complicata si costisitoare pentru indicatorul de mal. Ca urmare a celor prezentate mai sus, pentru evidentiereape ecranul radar a indicatoarelor de mal se are in vedere doar metoda pasiva, adica prin intermediul reflectoarelor radioplutitoare.
Metode de protejare a laturilor senalului
Pe ecranul radiolocatorului forma si culoarea luminilor indicatoarelor plutitoare si de mal nu se observa. Pilotul poate stabili ce margine protejeaza acestea pe baza cunostintelor despre senal si despre pozitia semnalelor, in raport cu malul, reprezentate pe ecran. In cazul schimbari senalului, cand pozitia indicatoarelor plutitoare in raport cu malul se schimba de asemenea, se pot crea astfel de formatiuni de indicatoare plutitoare, mai ales pe bancurile de nisip, despre a caror eficienta este evidenta. In astfel de cazuri indicatorul incorect interpretat poate deveni un pericol.Instrumentele de dragare, navele care se scufunda in senal pot fi de asemenea cauzele unor situatii de avarii, asa cum indicatoarele vizuale ( pavilioane, globuri, culori ) nu sunt descoperite de radiolocator. Pentru a evita pericolele amintite trebuie asigurata detectarea pe ecran a indicatoarelor de protejare a marginilor senalului. Pe rauri, cel mai simplu mijloc de realizare a detectarii indicatoarelor plutitoare de pe dreapta si de pe stanga consta in dublarea indicatoarelor plutitoare pe o singura parte a senalului. De exemplu, pentru indicatoarele plutitoare de pe partea stanga se instaleaza 2 indicatoare unul dupa altul la o distanta mai mare ce realizeaza putere pe distanta. Astfel, indicatorul sting apare pe ecran ca un al doilea semnal, iar cel drept ca un semnal intr-un singur punct.
Util ar fi sa fie dublate indicatoarele verzi plutitoare de pe stanga cu un indicator in forma de triunghi, astfel incat suprafata efectiva de reflectare a acestuia sa nu fie mare.Totusi, modalitatea de instalare a indicatoarelor duble, fara a lua in seama faptul ca este cea mai simpla, are cateva neajunsuri, ca, de exemplu, posibilitatea deplasarii unuia din cele 2 indicatoare, dificultati tehnice, cheltuieli suplimentare. Se recomanda folosirea unor indicatoare separate pe ambele maluri. In anumite situatiI, pentru a evita confuziile pentru pilotaj este necesara instalarea unui indicator corespunzator pe malul opus.
Indicatoarele de mal
Este bine cunoscut faptul ca pilotul se orienteaza in principal dupa repere naturale si artificiale si dupa indicatoarele de mal. Instalarea unor reflectoare pasive pe indicatoarele de mal nu da rezultate, astfel incat pe ecran se unesc cu fondul terenului, si nu pot fi deosebite nici macar pe malurile netede. Localizarea pe ecranul radarului a locului de amplasare a indicatorului de mal este posibila doar in acel caz daca in imediata lui apropiere ( sub mal, langa indicatorul de mal ) se instaleaza un indicator plutitor echipat cu un reflector de radiolocatie.Pentru completarea indicatoarelor de mal cu reflectoare plutitoare trebuie sa se tina seama de recomandarile Comisiei Dunarene referitoare la navigatia intre indicatoare ( instruirea referitoare la amplasarea indicatoarelor in conditii de navigatie pe Dunare, partea I ) si la obstacolele aparute in senal. Reflectoarele de radiolocatie marcate cu indicatoare de mal luminoase trebuie sa fie vizibile pe ecran din orice punct al senalului pana in momentul cand sunt necesare pentru orientarea pilotilor. Pe o distanta mare descoperirea indicatorului plutitor ce arata locul de instalare al indicatorului luminos de mal influenteaza semnificativ capacitatea de orientare.In afara de aceasta, distanta dintre reflectorul plutitor si mal determina capacitatea de receptie de la o distanta eficienta a statiei de radiolocatie. Datorita faptului ca puterea obtinuta in unghi depinde de distanta, atunci, cu atat mai mult trebuie ca reflectorul plutitor sa fie instalat mai departe de mal. Totusi nu trebuie ca aceasta distanta sa fie marita prea mult, pentru ca in cazul traversarii senalului in apropierea malului, reflectorul plutitor poate sa fie pozitionat eronat,in senal. Pentru determinarea distantei de mal la care poate fi plantat reflectorul plutitor corespunzator indicatorului luminos de mal, s-au facut experiente practice, in defilee de dimensiuni diferite.Sa stabilit astfel ca reflectorul plutitor instalat la 30 de metri de linia malului emite un semnal de la mal care se distinge pe ecran pe o distanta de circa 1,5 km. Pe o distanta mai mare nu se obtine semnalul pe ecran si reflectorul plutitor se confunda cu semnalele liniilor de mal. Un astfel de semnal, care se distinge de linia malului poate fi receptionat si de la barcile acostate la mal, de aceea reflectorul plutitor instalat la 30 metri de mal nu poate asigura pentru navigatie localizarea sigura la o distanta mai mare de 1,5 km.Din aceasta constatare rezulta ca pentru protejarea defileelor a caror lungime este mai mare de 1,5 km. trebuie sa se instaleze in afara de reflectoarele plutitoare, care indica semnalele luminoase ale malurilor defileelor, un reflector ajutator de radiolocatie la jumatatea distantei defileului. In aceleasi locuri, unde in raport de conditiile locale reflectoarele plutitoare pot fi instalate la o distanta mai mare de mal, nu sunt necesare reflectoare plutitoare suplimentare. Totusi, trebuie sa remarcam faptul ca, modalitatea expusa de protejare se poate folosi doar pe sectorul mai aval de Gonyu. In zona amonte de Gonyu, senalul fiind ingust si trecand prin apropierea malului nu este posibila instalarea reflectoarelor plutitoare mai departe de 10 metri de mal. Totusi un astfel de indicator apare pe ecran ca un semnal izolat doar la 300 metri. Problema marcarii cu indicatoare luminoase de mal poate fi rezolvata pe sectorul de sus al Dunarii doar printr-o metoda activa sau printr-o asezare mai deasa a reflectoarelor de radiolocatie. Se poate recomanda de asemenea ca spre deosebire de metodele expuse mai sus, indicatoarele luminoase de mal sa fie marcate prin reflectoare plutitoare instalate nu pe aceeasi parte, ci pe linia indicatorului de mal, pe partea opusa senalului, cu indicator de recunoastere, corespunzator marginii senalului.
Marcarea deschiderilor podurilor navigabile
Localizarea prin radar a deschiderilor podurilor navigabile este posibila numai la acele poduri a caror proeminenta a pilonilor pe partea pe unde trec navele este mai mare sau egala cu gabaritul permis. O astfel de situatie favorabila este posibila doar pentru putine poduri. In general deschiderea podurilor navigabile si a pilonilor nu se distinge pe ecran prin modalitatile expuse in continuare. Protejarea deschiderilor podurilor navigabile cu ajutorul reflectoarelor plutitoare. Pentru protejarea deschiderilor podurilor navigabile este important sa se marcheze marginile senalului. Metoda permisa pe distanta determina distanta reflectoarelor plutitoare de la pilon si a reflectoarelor duble unul fata de celalalt. Daca podul este construit la cotul raului si daca la distanta de 60 metri exista un reflector plutitor plantat, exista pericolul ca acesta sa fie distrus si de aceea reflectorul plutitor instalat aproape de pilon trebuie sa se afle la 15 metri de el. Deschiderea podurilor navigabile pe sub care trecerea se efectueaza intr-o singura directie se marcheaza doar pe partea drumului de acces, iar deschiderile, pe unde trecerea se face in ambele parti se marcheaza prin indicatoare plutitoare pe ambele parti. Daca deschiderea navigabila se afla langa mal, atunci trebuie marcat doar pilonul, iar marcarea liniei malului se realizeaza in raport de conditiile locale. Protejarea deschiderii podurilor navigabile cu ajutorul reflectoarelor de colt executate odata cu constructia podului.Marcarea deschiderilor podurilor navigabile se poate realiza de asemenea cu ajutorul reflectoarelor de colt montate pe piloni sau pe pod. In astfel de situatii lungimea constructiei, adica distanta de la pod la reflector trebuie sa corespunda cerintelor . Pe baza aplicatiilor de la punctele dinainte, in conditiile de pe Dunare aceasta distanta trebuie sa asigure aparitia clara pe ecran a punctului reflectorului ( aproximativ 15 metri). Avind in vedere ca reflectoarele de colt sunt realizate din foi de aluminiu, greutatea lor e minima si cerintele de rezinstenta pentru constructia de sustinere sunt mici. Prin aceasta metoda se pot marca bine doar acele deschideri ale podurilor care sunt ingustate din cauza lucrarilor din piatra sau din alte cauze. Reflectoarele de radiolocatie instalate pe poduri, din faza de constructie reprezinta o mare securitate in raport cu protejarea cu indicatoare plutitoare, pentru ca ele nu pot fi deplasate si chiar in perioada gheturilor, acestea protejeaza bine deschiderile navigabile.
Densitatea indicatoarelor
Tarile riverane stabilesc in conformitate cu recomandarile Comisiei Dunarene, cantitatea, locul de amplasare si tipul indicatoarelor plutitoare pe cotele joase, medii si inalte ale apelor. Densitatea stabilita a indicatoarelor plutitoare asigura, in general, cerintele navigatiei cu ajutorul radarului pe cotele joase si medii in conditiile echiparii fiecarui indicator plutitor cu un reflector de radiolocatie.Trebuie, de asemenea, sa remarcam ca luand in calcul specificul navigatiei cu ajutorul radarului, inicatoarele plutitoare trebuie sa se afle la o asemenea distanta unul de altul, incat prin folosirea a ceea ce este caracteristic pentru sectorul Dunarii, in orice situatie pe ecran sa apara imaginea a doua indicatoare ( de exemplu pe sectorul mai jos de Gonyu - 1,6 km prin urmare indicatoarele plutitoare trebuie sa se afle la o distanta unul de celalalt nu mai mare de 1500 - 1600 m ). Pe sectoarele, unde aceasta cerinta nu satisface conditiile de navigatie la ape mici si medii, trebuie sa se instaleze, in mod rational, indicatoare plutitoare de radiolocatie suplimentare. Cand administratiile indeparteaza o mare parte din indicatoarele de protejare, navigatia in perioada apelor mari nu satisface cerintele expuse mai sus. Pentru navigatia cu ajutorul radarului indicatoarele plutitoare servesc nu doar pentru marcarea marginii senalului in absenta mijloacelor de orientare de pe mal dar si pentru determinarea locului unde se afla navele. De aceea numarul indicatoarelor la ape mari trebuie marit pe acele sectoare ale Dunarii. Si la nivelele mari este necesar, din punct de vedere al sigurantei navigatiei, ca aceasta sa se efectueze de la un indicator la altul. Reflectoarele plutitoare care sunt indicatoare importante de mal ( de exemplu lumini de mal, indicatoare pentru defilee ) trebuie sa fie plantate indiferent de nivelul apei. In afara de problemele expuse mai sus pentru navigatia cu ajutorul radarului trebuie bine semnalizat senalul de navigatie indiferent de nivelul apei .
Protectia reflectoarelor plutitoare de pericolul deplasarii.
Pentru navele care navigheaza cu ajutorul radarului, din cauza restrictionarii orientarii pe mal, deplasarea reflectorului plutitor poate duce la avarii importante. Prin urmare, deosebit de important este faptul ca in acelasi timp cu trecerea pe reflectoarele de radiolocatie stabilitatea amplasarii indicatoarelor plutitoare sa fie mare. In acest scop trebuie sa se ancoreze ferm in toate pozitiile in care exista nevoie de semnalizare considerand existenta unui pericol minim pentru navele ce navigheaza in conditii de ape mici. Pentru stabilizarea amplasarii indicatoarelor plutitoare este foarte important sa se foloseasca ancore netede biplane, a caror inaltime maxima deasupra fundului apei sa nu depaseasca 20 de cm. Pentru asigurarea rezistentei cablului de ancorare trebuie sa i se aleaga lungimea si tipul constructiv cel mai eficace. Este deosebit de important ca geamandurii sa i se ataseze un lant cu un diametru mare, a carui greutate sa nu permita ancorei sau sa-si schimbe locul. Pentru protejarea digurilor paralele sau a altor constructii situate in apropierea senalului in locul reflectoarelor plutitoare este bine sa se foloseasca reflectoare instalate pe stalpi, pentru ca acestea nu sunt expuse lovirii si nici pericolului deplasarii. . Metode de evitare a perturbatiilor (parazitilor) periculoase provocate de liniile aeriene si de poduri. Constructia podurilor si a liniilor aeriene peste rauri produc pe ecranul radar perturbatii periculoase, care pot sa mascheze obiectul observatiilor. In cazul liniilor aeriene apar perturbatii sub forma unui obiect ce se misca pe calea navigabila,imaginea putand fi confundata cu ce a unui convoi sau nave.
Podurile
Ca regula generala doar podurile din otel produc perturbatii periculoase, podurile din beton nu.Pentru evitarea acestor reflexii periculoase se pot aplica dispozitive speciale. De exemplu, o retea metalica care la construirea podurilor noi trebuiesc prevazute chiar de la inceput .Experienta a demonstrat ca perturbatiile periculoase nu apar in situatiile cand:
grinda de jos a podului are forma unei cutii inchise;
se poate elimina formarea unghiurilor de 90
de grade si chiar a reflectoarelor triunghiulare si este suficient
daca una din laturile triunghiului se indeparteaza de unghiul
drept cu
5o.
Liniile aeriene.Protejarea liniilor aeriene de catre reflectoarele de radiolocatie amplasate la o distanta de circa 30 m unul de celalalt de-a lungul liniei, pe cablu separat, da posibilitatea sa se detecteze clar perturbatiile produse de liniile aeriene. Totusi, cablurile de pontoane nu trebuie protejate.
SEMNALIZARE EXISTENTA KM. FLV. 300 - 520
|
KM. FLV. |
SEMNAL COSTIER MAL STANG |
SEMNAL COSTIER MAL DREPT |
SEMNAL PLUTITOR MAL STANG |
SEMNAL PLUTITOR MAL DREPT | |
|
Km 300 |
A1(8) | ||||
|
C2, C3, E9b | |||||
|
A2(8) | |||||
|
A9 | |||||
|
B1,A6,B8,A4,B7,E23 | |||||
|
A2(8) | |||||
|
A2(8) | |||||
|
B3(8) | |||||
|
B4(8) | |||||
|
Fv | |||||
|
B4(8) |
A4 | ||||
|
FR | |||||
|
Fr | |||||
|
B8,E23,E6,E5,E5.3,B7 | |||||
|
E6,E5,E8,E5.3 |
B3(8) | ||||
|
B4(8) | |||||
|
C1, C4 | |||||
|
A1 |
A2(8) | ||||
|
B8,B7,E23,A4 | |||||
|
FV | |||||
|
A4,B7,B8,E23 |
A2(8) |
A1(8) | |||
|
B8 | |||||
|
C1, C4 | |||||
|
A1, E3 |
A2(8) | ||||
|
B3(8), B1(8) | |||||
|
A2(8) |
A1(8) | ||||
|
B4(8), C1, C4, Fv | |||||
|
Fv | |||||
|
A4, B8, B7, E23 | |||||
|
B8, B7, E23 |
Fr, B3(8) | ||||
|
A4, B8, B7, E23 | |||||
|
E23 |
B7, B8 | ||||
|
E5.1, E5.14 |
FR | ||||
|
E5.1, E5.14 | |||||
|
B3(8) | |||||
|
FV, A4 |
A1 | ||||
|
A2(8) | |||||
|
B4(8), A5, A9 | |||||
|
A5, A4, B8, FV |
A2(8) |
A1(8) | |||
|
C1, C4 | |||||
|
A1, E3 |
A2(8) | ||||
|
FR, B7, A4, B8 | |||||
|
B1(8), E23, B3(8) | |||||
|
A2(8) | |||||
|
A1(8) | |||||
|
KM. FLV. |
SEMNAL COSTIER MAL STANG |
SEMNAL COSTIER MAL DREPT |
SEMNAL PLUTITOR MAL STANG |
SEMNAL PLUTITOR MAL DREPT | |
|
B4(8), C11, C4 |
A1(8) | ||||
|
FV | |||||
|
B7,E23,A4,B8,C3(8) | |||||
|
A2(8) |
A1(8) |
A3(8) |
|||
|
A2(8) | |||||
|
C1(8) | |||||
|
E5.13,E5.1,E23,C4,B8,B7 | |||||
|
E5.13, E5.1 | |||||
|
A2(8) | |||||
|
A2(8) | |||||
|
C1(8), C5 |
A2(8) | ||||
|
B3(8) | |||||
|
FV,B4(8),B8,B7,B11,A4 | |||||
|
C1(8) |
A2(8) | ||||
|
A2(8) | |||||
|
B3(8) | |||||
|
B3(8) | |||||
|
FR,A4,B8,B11,B7 | |||||
|
E6,B11,B8,B7,B2b,B4(8) | |||||
|
E8, E6 | |||||
|
C5 | |||||
|
C5, FV | |||||
|
A4, B4(8) |
B3(8) | ||||
|
B3(8) |
A2(8) |
A1(8) | |||
|
FV | |||||
|
A4 |
A1(8) | ||||
|
FV, B11 |
A2(8) | ||||
|
B8, B7, A6, C2(8) | |||||
|
A6, E9b | |||||
|
B11, E5.1, E5.13 |
C5 |
A1(8) | |||
|
A4, E5.1, E5.13 | |||||
|
B8, B7, B11 | |||||
|
B8, B7, B11 | |||||
|
A6, C2(8) | |||||
|
A6 | |||||
|
E6, E8, E5.1 | |||||
|
E6, E8, E5.1 | |||||
|
B8, B7, B11, A4 |
A2(8) | ||||
|
A1(8) | |||||
|
B7, B11, A4, B8 |
A2(8) |
A1(8) | |||
|
B8, B11, A4, B7, C2(8) |
A1(8) | ||||
|
A4, B11, B8, B7, B2(8) |
A2(8) | ||||
|
A1(8) | |||||
|
A2(8) |
A1(8) | ||||
|
A2(8) |
| ||||
|
FV | |||||
|
A1(8) | |||||
|
E6, E8, E5.1 |
A1(8) | ||||
|
E6, E8, E5.1 |
|
KM. FLV. |
SEMNAL COSTIER MAL STANG |
SEMNAL COSTIER MAL DREPT |
SEMNAL PLUTITOR MAL STANG |
SEMNAL PLUTITOR MAL DREPT | |
|
A1(8) | |||||
|
A2(8) | |||||
|
A1(8) | |||||
|
A6, C5 | |||||
|
A6, C5 | |||||
|
B8, B11, A9 | |||||
|
A9 | |||||
|
C2(8), C5 |
A1(8) | ||||
|
C2(8) | |||||
|
C2(8), C5 |
A2(8) | ||||
|
C2(8), A6 | |||||
|
C2(8) | |||||
|
A6 | |||||
|
A6, C5 | |||||
|
C2(8), A6 | |||||
|
B8, B11 | |||||
|
FV | |||||
|
E6, E8, E5.1 | |||||
|
E6, E8, E5.1 | |||||
|
A2(8) | |||||
|
FV | |||||
|
A2(8) | |||||
|
A2(8) |
A1(8) | ||||
|
FV | |||||
|
FV | |||||
|
A1(8) | |||||
|
A1(8) | |||||
|
FV | |||||
|
A2(8) | |||||
|
A2(8) | |||||
|
A1(8) | |||||
|
FV, B11, B8, B7, A6 | |||||
|
A1 |
C1(8) |
A1(8) | |||
|
C1(8) | |||||
|
A2(8) | |||||
|
A1 |
A2(8) |
A1(8) | |||
|
A2(8) |
A1(8) | ||||
|
A4, B7, B8, B11, C2(8) |
A1(8) | ||||
|
C2(8), A6, C5 |
A2(8) | ||||
|
C5, C2(8), A6 | |||||
|
A6, C2(8 | |||||
|
A6 | |||||
|
B11, B8, B7 | |||||
|
FV | |||||
|
C2(8), C5 | |||||
|
E5.1, E6, E8 | |||||
|
E5.1,E8,E6,B7,B8,B11,A4 | |||||
|
FV, A4, B7, B8, B11 | |||||
|
A6 |
A2(8) |
A1(8 | |||
|
KM. FLV. |
SEMNAL COSTIER MAL STANG |
SEMNAL COSTIER MAL DREPT |
SEMNAL PLUTITOR MAL STANG |
SEMNAL PLUTITOR MAL DREPT | |
|
C2(8) | |||||
|
A6 | |||||
|
A1(8) | |||||
|
E6, E8, E5.1 | |||||
|
A4, B8, B7, B11 | |||||
|
E6, E8, E5.1 | |||||
|
A1(8) | |||||
|
A2(8) |
ANALIZA SEMNALIZARII PE SECTORUL CUPRINS INTRE
KM. FLV. 300 - KM. FLV. 520
Lungimea sectorului analizat este de 220 km. In luna Octombrie 2005 se aflau pe pozitie un numar de 31 geamanduri rosii, cu sau fara lumina,38 geamanduri verzi cu sau fara lumina, 6 faruri rosii, 20 faruri verzi, in total semnale rezultand teoretic un semnal la 1,629 km.
Tinundu-se cont de recomandarile CEVNI, in sector sunt necesare un numar de 580 semnale plutitoare si costiere destinate navigatiei din care in luna Octombrie 2005 plantate au fost 135.
In realitate sectorul se poate imparti in zone cu densitate mica a semnalelor, avand uneori distante de cca. 10 km., si zone cu densitate mare avand cca. 3-4 semnale pe o distanta de cca. 1-2 km.
In conformitate cu Regulamentul de navigatie pe Dunare, in sectorul romanesc, al Codului European al semnalizarii pe caile navigabile interioare-CEVNI, coroborat cu analiza si comentariile RECOMANDARILOR CD/SES29/34 semnalizarea plutitoare si de coasta este esentiala pentru navigatia navelor si convoaielor in siguranta.
Daca tinem cont de definitiile semnalelor observam ca:
-sunt semnalizate limitele stanga si dreapta a senalului,astfel incat conducatorul navei sa le sesizeze permanent,
-este semnalizat axul senalului navigabil astfel incat conducatorul sa stie exact si permanent pe ce parte a senalului se afla,
-distantele minime de semnalizare trebuie sa nu fie mai mari decat distantele maxime de vizibilitate optica si radar a luminilor semnalelor rosii si verzi precum si a reflectoarelor pasive radar de pe geamanduri si faruri,
-in cazul semnalizarii radar distanta maxima de amplasare a semnalizarii plutitoare purtatoare de reflectoare radar nu trebuie sa depaseasca 1600 metri pe sectorul Dunarii cuprins intre Kelheim si Gonyu si 2000 metri in aval de Gonyu pana la Sulina.
Exemplu de amplasare semnale
-liniile 1,2,3,4,5, sunt tangente la curba si intersectia lor determina pozitia aproximativa a semnalelor plutitoare;
-in cazul in care tangentele se intersecteaza pe mal ,este posibil,daca limita senalului navigabil se confunda cu malul, inlocuirea semnalului plutitor cu semnal de coasta.

In cazul unor curbe stranse semnalizarea plutitoare poate fi amplasata la mai putin de 1000 metri distanta intre semnale, astfel incat sa poata fi sesizate limitele senalului navigabil. Permanent, ziua sau noaptea, conducatorul navei trebuie sa sesizeze limitele stanga-dreapta ale senalului navigabil direct sau cu ajutorul aparaturii radar.
Exemplu de indicare a traversarii axului senalului navigabil de la un mal la altul:
In conformitate cu Regulamentul de navigatie pe Dunare, in sectorul romanesc, al Codului European al semnalizarii pe caile navigabile interioare -CEVNI, coroborat cu analiza si comentariile RECOMANDARILOR CD/SES29/34 semnalizarea plutitoare si de coasta este esentiala pentru navigatia navelor si convoaielor in siguranta.
Daca tinem cont de definitiile semnalelor observam ca:
-sunt semnalizate limitele stanga si dreapta a senalului,astfel incat conducatorul navei sa le sesizeze permanent,
-este semnalizat axul senalului navigabil astfel incat conducatorul sa stie exact si permanent pe ce parte a senalului se afla,
-distantele minime de semnalizare trebuie sa nu fie mai mari decat distantele maxime de vizibilitate optica si radar a luminilor semnalelor rosii si verzi precum si a reflectoarelor pasive radar de pe geamanduri si faruri,
In cazul unor curbe stranse semnalizarea plutitoare poate fi amplsata la mai putin de 1000 metri distanta intre semnale, astfel incat sa poata fi sesizate limitele senalului navigabil. Permanent, ziua sau noaptea, conducatorul navei trebuie sa sesizeze limitele stanga-dreapta ale senalului navigabil direct sau cu ajutorul aparaturii radar.
CAPITOLUL 8
PROPUNERI PENTRU IMBUNATATIREA
CONDITIILOR DE NAVIGATIE IN SECTORUL KM. 520-KM.300
Urmarind conditiile de navigatie pe portiunile descrise se poate ajunge la concluzia ca este necesara inbunatatirea parametrilor de siguranta a navigatiei prin lucrari specifice de amenajare. Vizam in acest context faptul ca volumul marfurilor transportate precum si varietatea acestora va creste.
Producerea de accidente de navigatie ca urmare a deselor esuari ale convoaielor, are ca efect scaderea semnificativa a eficientei transportului fluvial de marfuri. De asemenea a deversarilor masive in calea navigabila a diferitelor tipuri de marfuri si implicit a celor deosebit de toxice si poluante, intarzierea declansarii lucrarilor de regularizare a Dunarii nu este in sprijinul dezvoltarii coridorului nr. VII european.
Pentru realizarea gabaritelor optime de navigatie pe intreaga perioada a anului, este necesara dezvoltarea unei activitati de regularizare a cursului prin constructii hidrotehnice specifice cum ar fi :
-lucrari de protectie a eroziunii malurilor, plantarea de epiuri si inchiderea bratelor laterale pentru concentrare si stabilizarea scurgerii debitelor lichide;
-factorii de raspundere sa completeze semnalele costiere si plutitoare pentru reducerea riscului avarierii navelor;
-pichetarea sectoarelor dificile cu semnale suplimentare si elaborarea unor harti la scara mare a acestor sectoare cu toate amanuntele completate la zi, pentru o mai buna informare a navigatorilor;
-inbunatatirea sistemului de navigatie cu aparatura de navigatie si comunicatie moderna;
-dotarea parcului de nave existent, cu nave care sa corespunda normelor si standardelor in vigoare;
-dotarea navelor cu aparatura meteorologica (termometru, barometru, anemometru) pentru culegerea, valorificarea si transmiterea datelor obtinute intre nave;
-infiintarea unui serviciu de supraveghere stricta a semnalizarii, pentru depistarea si interventia in scurt timp in cazul semnalelor plutitoare avariate;
-propun astfel initierea activitatii de identificare a zonelor care implica lucrari de regularizare prin efectuarea de masuratori specifice si elaborarea planurilor de amenajare hidrotehnice, astfel incit pe baza lor sa se poata incepe in cursul urmatorului an o parte din lucrarile enumerate;
Pentru punerea in aplicare a unui astfel de program, propunem de asemenea declansarea operatiunilor de identificare a resurselor financiare cum ar fi:
-programe europene de finantare dat fiind interesul dezvoltarii coridorului VII european;
-resurse atrase prin efectul Convenitei despre regimul navigatiei pe Dunare.
OPTIMIZAREA CONDITIILOR DE NAVIGATIE
Conditiile de navigatie optime sunt rezultatul unui ansamblu de masuri de natura organizatorica corelate cu parametrii de siguranta a caii navigabile si a convoaielor care naviga pe calea respectiva. Este de la sine inteles ca transportul de marfuri pe o cale navigabila in conditii optime determina un rezultat economic eficient. Pentru atingerea scopului urmarit prin folosirea unei cai navigabile, este necesara realizarea optimizarii functionarii caii respective. Intreg ansamblu de masuri privind organizarea transportului pe o cale navigabila, coroborat cu parametri tehnici in care se mentine aceasta cale, imbinate astfel incat sa permita realizarea unui volum de transport maxim intr-un timp si cu o cheltuiala minima, determina optimizarea conditiilor de navigatie pe calea navigabila respectiva. Prin aceasta optica deducem urmatorii parametri de siguranta pe care este necesar sa-i luam in considerare:
1. Conditiile sectorului de navigatie
-a)regimul hidrologic al caii navigabile
-b)regimul meteorologic al zonei geografice in care este amplasata calea navigabila
-c)caracteristicile caii navigabile
-gabarite, sinuozitate, raze de curbura etc.
-calitatea semnalizarii senalului navigabil
-densitatea traficului naval
2. Caracteristicile navelor si ale convoaielor
-a)caracteristicile constructive ale navelor-calitati nautice, puteri de propulsie, gabarite, echipamente de navigatie
-b)calitatea echipajului
3. Organizarea informationala
-a)caracteristica de monitorizare a navigatiei -supraveghere radio, radar
-b)reteaua de informare nautica
-c)reguli speciale de navigatie
4. Organizarea interventiilor
-a)salvarea echipajelor
-b)salvarea navelor-incendiu, gaura de apa, esuari
-c)limitarea poluarii de orice fel
SISTEM DE SUPRAVEGHERE A SIGURANTEI NAVIGATIEI PE DUNARE
OBSERVATII
In luna Mai 2006 a fost deschis punctul de informare prin radio pentru navigatie, pe Dunare cu Centrala la DrobetaTurnu Severin in prima faza. Prin acestea exista pe intregul sector al Dunarii, un instrument de comunicare rapida intre nave si autoritati,la dispozitie.
Extinderea pe intregul sector al Dunarii este planificat pentru anii 2006-2007. Deja in prezent si in viitorul apropiat urmatoarele servicii sunt evidentiate:
Informatii nautice ( NIF )
Post de anuntarea evenimentelor ( WSV )
Raportarea si Sistemul informational pentru diferite Sectoare ale navigatiei interioare ( MIB )
Numaratoarea navelor ( Statistic )
Acesta si unele elemente de siguranta a navigatiei si tehnica se descriu mai jos.
PENTRU SIGURANTA NAVIGATIEI PE DUNARE
Pe Dunare intre Bazias si Agigea au fost transportate in anul 2005, circa 90 milioane tone.
Se considera in anul 2006, ca transportul pe calea ferata si rutiera va creste. Prognoza prevede o crestere pe cai navigabile interioare intre anii 2006-2010 de 60%.
Se prevad instalarea de sisteme de informare moderne si investitii pentru politie si capitaniile de port.
Cresterea standardului pentru siguranta in navigatie este indiscutabil necesar.
Standardul de siguranta navigatiei pe Dunare se bazeaza pe 3 componente:
Siguranta cailor navigabile (constructii tehnice navale)
Siguranta navelor in ape interioare (tehnica in constructii navale)
Siguranta in desfasurarea navigatiei (Informatii si tehnica de informare)
Pe Dunare prin semnalizare plutitoare si costiera se asigura o anumita latime si adancime a senalului navigabil.
Siguranta navelor se mareste permanent, de exemplu, constructii de nave cu invelis dublu. Desi prin acest tip de proiectare cresc dimensiunile navelor ele devin mult mai sigure scopului lor. Pentru a imbunatati sistemul de siguranta prin cresterea dimensiunilor navelor ce cauta noi sisteme de comunicare, prin inlocuirea sistemului traditional, ca geamanduri, semnale luminoase, tabele indicatoare urmand a fi completate prin sistemul de comunicare prin radio.
INFORMATII NAUTICE PRIN R
Sistemul de informare prin radio cuprinde urmatoarele:
Informatii mass media
Informatii nautice
Informatii nava - nava
Informatii nava - organe portuare
Informatii interioare pe nava
Obligatia de dotarea navelor cu aparate pentru canalul 10 pentru comunicatii interioare nava - nava :
pentru transportul anumitor marfuri periculoase,
Deservirea aparatelor radio pe Dunare este simpla si poate fi deservita de oricine, chiar daca sunt cerute certificate de capacitate. Este permisa folosirea radiotelefonului si de catre persoane necalificate in cazuri speciale cand cel in drept este in imposibilitatea de a lua legatura radio cu statia din sector.
INSTALAREA INFORMATIILOR NAVALE PRIN R
Sistemul de informare prin radio deserveste legatura intre nave si organele portuare. Acesta serveste pentru transmiterea de informatii care sunt legate de navigatie, pentru siguranta acestora, in cazuri de urgenta pentru siguranta persoanelor. Excluse sunt informatii comerciale de orice fel.
Anexarea la o a treia retea radio este interzisa.
Sistemul de comunicare radio pentru informatii nautice va fi extinsa in trei etape.
1.- Statii radio la toate ecluzele cu raza medie cu posibilitatea schimbarii canalelor.
2.- Extinderea puterii statiilor de radio pentru a se putea contacta si navele aflate intre ecluze, eventual instalarea de noi statii intermediare.
3.- Conectarea tuturor statiilor radio la o centrala a cailor navigabile.
CONCEPTUL TEHNIC DE COMUNICARE PE DUNARE
Pe sectorul Romanesc al Dunarii sunt doua sisteme regionale cu centralele la DrobetaTurnu Severin si Galati se folosesc canalele radio 16 si 68.
Ecluzele de intrare in ape anexe, folosesc canalul 16.
Statiile sunt la o distanta de aproximativ 30 km - 130 km.
Statia de pe nava poate concomitent sa contacteze ecluza si cea mai apropiata statie de uscat.
Pozitiile navelor se inregistreaza pe banda, un ceas stabileste cand trebuiesc emise diferite informatii.
REALIZAREA TEHNICA A NIF PE DUNARE
Se bazeaza pe transmiterea informatiilor de siguranta si anume vizibilitate, vant, trafic, praguri, cote.
CONCEPTUL DE EXPLOATARE
Centralele de sectoare pe Dunare sunt 24 ore functionabile.
Personalul care deserveste centralele poseda Brevete de Navigatori pe Dunare.
- Emiterea avizelor catre navigatori din partea organelor. Organele, Administratia a fiecarui sector, emit avize catre navigatori, care sunt transmise tuturor statiilor de radio si care cuprind urmatoarele:
Cota apelor, situatii la ape mari, gheata si ceata.
Indicatii referitoare la reguli de navigatie precum:
Adancimi la praguri in senalul navigabil.
Manifestari sportive navale.
Santiere de lucru, dragari, restrictii.
Lucrari la poduri cu restrictii
Nave avariate
Exercitii militare
Masuratori
Inchiderea navigatiei la ape mari
Deschiderea navigatiei dupa ape mari
Relatii referitoare la inchiderea ecluzelor
Relatii referitoare la aglomerari de nave pentru ecluzare.
Avize si indicatii in cazuri speciale.
Avizele se comunica de 4 ori pe zi la ore fixe. Cotele apelor de 2 ori pe zi, iar la nevoie si la solicitare din partea navelor.
- Prelucrarea comunicarilor de pe nave.
Chemari de ajutor se transmit statiilor de prim ajutor.
Rapoarte despre avarii, semnale, starea senalului navigabil, starea meteorologica, gheata, ceata se comunica sectiilor respective.
Aceste date se comunica tuturor navelor din sector sub forma "Informatii primite de la nave".
RAPOARTE SI SISTEMUL INFORMATIONAL PENTRU TRANSPORTURI DE
MARFURI PERICULOASE PE ANUMITE APE INTERIOARE
Cantitatea si repartizarea pe sectoare a transporturilor de marfuri periculoase.
Se bazeaza pe evidenta statistica a traficului .
Raportarea masurilor de siguranta.
Combaterea accidentelor este ingreunata, daca politia si pompierii nu au date exacte despre nava, incarcatura si echipaj. Aceasta in special la transporturi cu produse periculoase.
- Echipajele comunica toate datele centralei din sector, care la randul lor le transmit serviciilor de prim ajutor, respective.
- Nave care transporta marfuri periculoase vor purta ziua, conform Regulilor de Navigatie semnalizarea corespunzatoare.
4.5. Imbunatatiri prin sistemul de raportare si informare .
Pentru a se evita situatii prevazute mai sus este indicat ca toate datele necesare pentru combaterea unor evenimente sa fie puse la dispozitia Centralelor de comunicatii.
In acest sens se introduce sistemul de raportare si informare.
1.Conducatorii
navelor supuse
a.felul navei
b.denumirea navei
c.pozitia, directia de mars
d.numarul de inregistrare
e. capacitatea
f.lungimea, latimea navei respectiv a convoiului
g.pescaj
h.ruta de navigatie
i.port de incarcare
j.port de descarcare
k.felul marfii
In cazul ca vor surveni schimbari fata de datele de mai sus acestea se vor comunica imediat.





















BIBLIOGRAFIE
N.Bardeanu
, Dan Nicolaescu - Contributii
B.Kozlowski - Istoricul Navei, Editura stintifica Bucuresti 1960;
St.Ignat , Gh.Iurascu - Indrumator pentru siguranta navigatiei pe Dunarea maritime si fluvaiala, Ed.Stintifica si Enciclopedica , Bucuresti 1979;
Vasile Gr.Marinescu - Manual de navigatie ,manevre si pilotaj pe fluviu Dunarea, Ed. Militara - Bucuresti 1960;
Ghe.Iurascu ,E.Huhulescu, I.Tigaret - Porturile dunarena,maritime si de pe caile navigabile interioare in sectorul romanesc, Constanta 2003;
Al.C.Sobaru, G.I.Nastase, Chiriac Avadanei - Artera navigabila Dunare - Main - Rin - Ed.Economica Bucuresti 1998;
Ghe.Iurascu , Costica Popa - Geografia si hidrometeorologia transporturilor navale Ed.Didactica si Pedagogica Bucuresti 1980;
Regulamentul de Navigatie pe Dunare;
- Albumul iernatecelor amenajate si provizorii de pa Dunare;
- Indicatorul kilometric , Comisia Dunarii - Budapesta 1990;
- Rutiera Dunarii ,Comisia Dunarii,Budapesta 1989
- Harta rutiera a Dunarii km 375-km.171, Comisia Dunarii , Budapesta 1992;
- Harta rutiera a Dunarii km. 936 - km.500 , Editia 1963;
- Harta rutiera a Dunarii km. 500 - Mm.73 , Editia 1963;
- Harta rutiera a Dunarii km 375-km.0, Comisia Dunarii , Budapesta 1970;
- Harta rutiera a Dunarii km 743-km.375, Comisia Dunarii , Budapesta 1969.
|
Politica de confidentialitate | Termeni si conditii de utilizare |
Vizualizari: 10153
Importanta: ![]()
Termeni si conditii de utilizare | Contact
© SCRIGROUP 2025 . All rights reserved